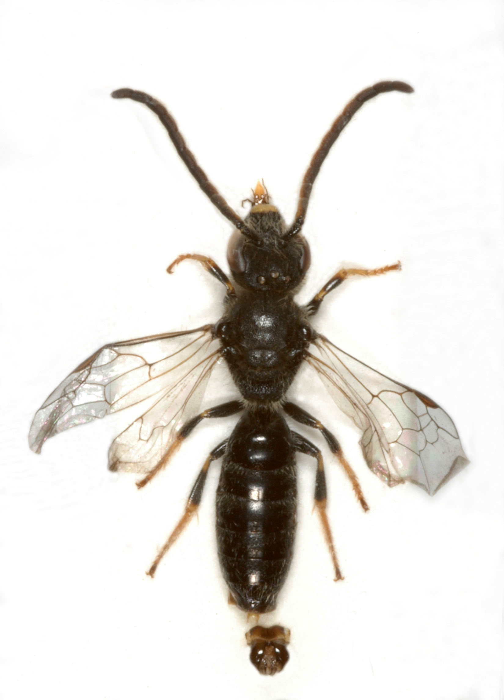
Familien er utbredt på alle kontinenter og er stor på verdensbasis med ca. 4500 arter. Flere arter har grønnmetallisk farge, mens noen har utpreget rødfarge på bakkroppen. Alle markbiene hekker i bakken, og noen arter opptrer ofte i store antall der de finnes.
Navn og taksonomi
- Vitenskapelig navn:
- Halictidae Thomson, 1869
- Synonymer:
- Ingen
- Bokmål:
- markbier
- Nynorsk:
- markbier
- Nordsamisk/Davvisámegiella:
- Ingen
- Vitenskapelig navn ID:
- 119843
- Takson ID:
- 78065
Artsnavn
Av
Arnstein Staverløkk
Utgiver
Norsk institutt for naturforskning
Lisens
CC BY 3.0 (Navngivelse)
Taksoner i artsgruppen
Registrerte funn
Laster funn i kart...
Registrerte funn i Norge
0
Funn totalt
0
Funn denne uken
0
Funn i dag
Bilder av arter i artsgruppen
Artsnavn
Av
Arnstein Staverløkk
Utgiver
Norsk institutt for naturforskning
Lisens
CC BY 3.0 (Navngivelse)
Artsnavn
Av
Arnstein Staverløkk
Utgiver
Norsk institutt for naturforskning
Lisens
CC BY 3.0 (Navngivelse)
Artsnavn
Av
Oddvar Hanssen
Utgiver
Norsk institutt for naturforskning
Lisens
CC BY 4.0 (Navngivelse)
Artsnavn
Av
Arnstein Staverløkk
Utgiver
Norsk institutt for naturforskning
Lisens
CC BY 3.0 (Navngivelse)
Artsnavn
Av
Arnstein Staverløkk
Utgiver
Norsk institutt for naturforskning
Lisens
CC BY 3.0 (Navngivelse)
Artsnavn
Av
Arnstein Staverløkk
Utgiver
Norsk institutt for naturforskning
Lisens
CC BY 3.0 (Navngivelse)
Artsnavn
Av
Arnstein Staverløkk
Utgiver
Norsk institutt for naturforskning
Lisens
CC BY 3.0 (Navngivelse)
Artsnavn
Av
Arnstein Staverløkk
Utgiver
Norsk institutt for naturforskning
Lisens
CC BY 3.0 (Navngivelse)
Siden siteres som
Artsdatabanken: Markbier Halictidae
Hentet fra https://artsdatabanken.no/arter/takson/78065