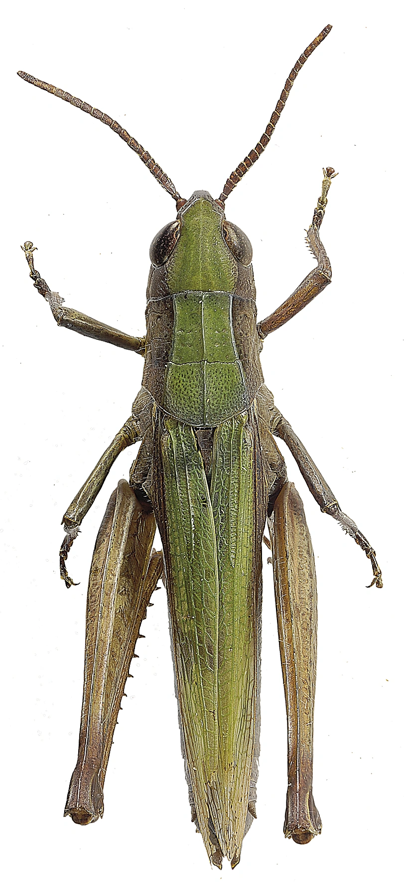
Rettvingene omfatter gresshopper og sirisser, og utgjør den nest største ordenen blant de hemimetabole insektene. Karakteristisk for de fleste rettvinger er at bakbeina er utviklet til kraftige hoppebein, og at insektet kan produsere hørbar lyd ved å gni enten bakbeinet mot framvingen eller framvingene mot hverandre. Rettvingene deles i to underordener: Ensifera, som i hovedsak omfatter løvgresshopper og sirisser, og Caelifera, som omfatter markgresshoppene. Alle rettvinger er landlevende og flertallet er planteetere.
Navn og taksonomi
- Vitenskapelig navn:
- Orthoptera
- Synonymer:
- Ingen
- Bokmål:
- rettvinger
- Nynorsk:
- rettvenger
- Nordsamisk/Davvisámegiella:
- rásselohkku
- Vitenskapelig navn ID:
- 108
- Takson ID:
- 108
Species name
Av
Hallvard Elven
Utgiver
Naturhistorisk museum, Universitetet i Oslo
Lisens
CC BY 3.0 (Navngivelse)
Taksoner i artsgruppen
Registrerte funn
Laster funn i kart...
Registrerte funn i Norge
0
Funn totalt
0
Funn denne uken
0
Funn i dag
Bilder av arter i artsgruppen
Species name
Av
Inger Johanne Aag
Species name
Av
Göran Liljeberg
Species name
Av
Inger Johanne Aag
Species name
Av
Göran Liljeberg
Species name
Av
Göran Liljeberg
Species name
Av
Göran Liljeberg
Species name
Av
Göran Liljeberg
Species name
Av
Göran Liljeberg
Page cited as
Artsdatabanken: Rettvinger Orthoptera
Hentet fra https://artsdatabanken.no/arter/takson/108