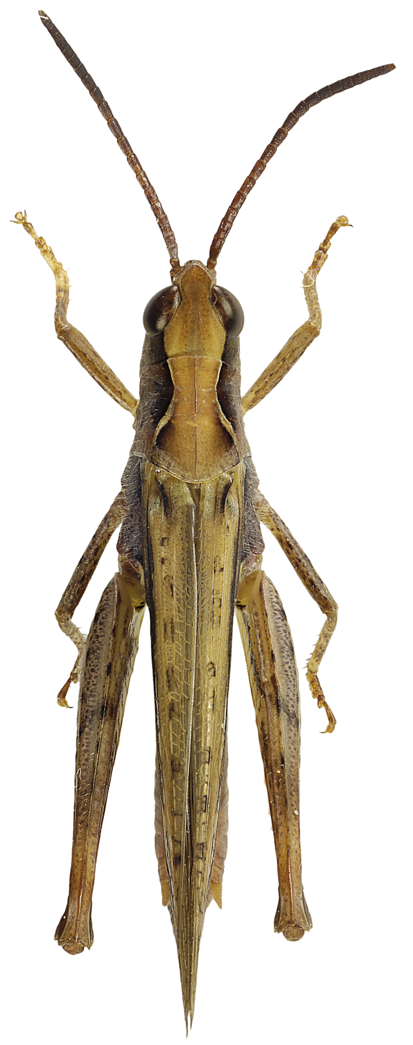
Slåttegresshoppe er en middels stor art med meget variable fargetegninger. Arten er særlig vanskelig å skille fra gråbrun markgresshoppe. Arten foretrekker varme lokaliteter, gjerne litt skrinne, sørvendte skråninger. Den finnes i Sørøst-Norge og langs Sørlandskysten.

Les hele beskrivelsen

Navn og taksonomi

Vitenskapelig navn:
Chorthippus biguttulus (Linnaeus, 1758)
Synonymer:
Ingen
Bokmål:
slåttegresshoppe
Nynorsk:
slåttegrashoppe
Nordsamisk/Davvisámegiella:
Ingen
Vitenskapelig navn ID:
112779
Takson ID:
71872
Gå til Nortaxa for flere detaljer
The image is missing a description

Kategori

Fastlands-Norge

Forvekslingsarter

Registrerte funn i Norge

Funn totalt
Funn denne uken
Funn i dag
Kart over Norge og Svalbard som viser hvor slåttegresshoppe Chorthippus biguttulus er observert

Levested

Semi-naturlig mark

Samlebetegnelse på åpne eller spredt tresatte fastmarkssystemer som er formet og betinget av tradisjonell hevd.

Habitatinformasjonen er hentet fra Rødlista for arter.


Siden siteres som

Artsdatabanken: Slåttegresshoppe Chorthippus biguttulus (Linnaeus, 1758)

Hentet fra https://artsdatabanken.no/arter/takson/71872