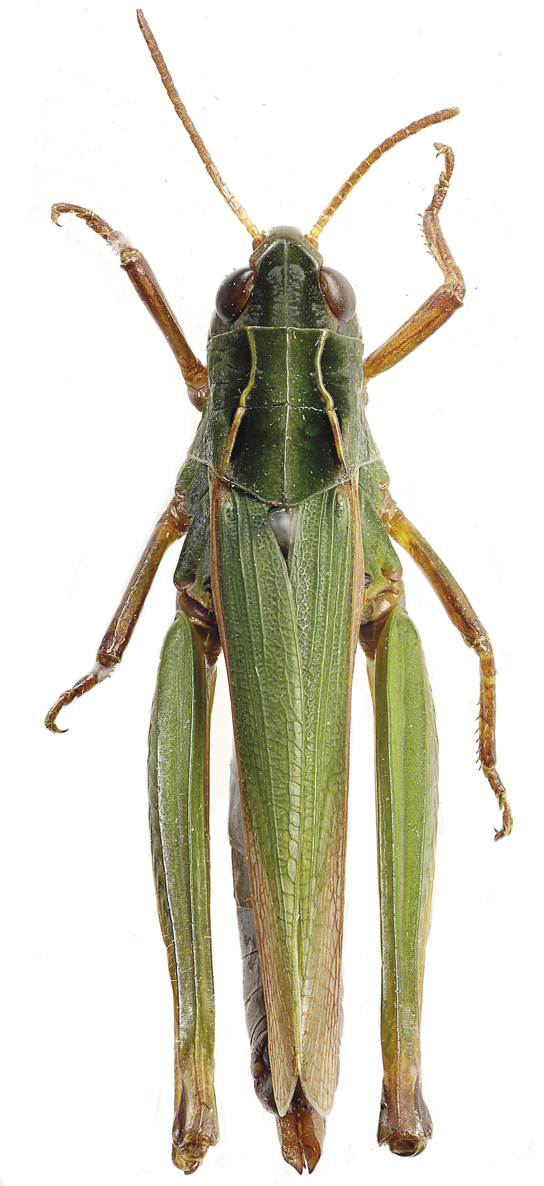
Grønn markgresshoppe er en middels stor markgresshoppe som varierer fra overveiende brun til overveiende grønn. Den trives i forskjellige typer gresseng og er utbredt over hele Sør-Norge nord til Nord-Trøndelag.
Navn og taksonomi
- Vitenskapelig navn:
- Omocestus viridulus (Linnaeus, 1758)
- Synonymer:
- Ingen
- Bokmål:
- grønn markgresshoppe
- Nynorsk:
- grøn markgrashoppe
- Nordsamisk/Davvisámegiella:
- Ingen
- Vitenskapelig navn ID:
- 112774
- Takson ID:
- 71868
Av
Göran Liljeberg
Kategori
Fastlands-Norge
LC
Livskraftig
Forvekslingsarter
Registrerte funn
Laster funn i kart...
Registrerte funn i Norge
0
Funn totalt
0
Funn denne uken
0
Funn i dag
Bilder
Av
Göran Liljeberg
Av
Göran Liljeberg
Av
Göran Liljeberg
Av
Göran Liljeberg
Av
Göran Liljeberg
Av
Göran Liljeberg
Siden siteres som
Artsdatabanken: Grønn markgresshoppe Omocestus viridulus (Linnaeus, 1758)
Hentet fra https://artsdatabanken.no/arter/takson/71868