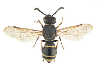
Mørk leirveps murer karakteristiske skorsteinsrør som inngangsparti til reiret. Hannene kjennetegnes på sammenrullete antennespisser og store tenner på undersiden av mellomlårene. Arten er lokalt vanlig i Sør-Norge på tørr mark med sand og leire.

Les hele beskrivelsen

Navn og taksonomi

Vitenskapelig navn:
Odynerus spinipes (Linnaeus, 1758)
Synonymer:
Ingen
Bokmål:
mørk leirveps
Nynorsk:
Ingen
Nordsamisk/Davvisámegiella:
Ingen
Vitenskapelig navn ID:
119232
Takson ID:
77478
Gå til Nortaxa for flere detaljer
Bildet mangler beskrivelse
Av
Arnstein Staverløkk
Utgiver
Norsk institutt for naturforskning

Kategori

Fastlands-Norge

Forvekslingsarter

Registrerte funn i Norge

Funn totalt
Funn denne uken
Funn i dag
Kart over Norge og Svalbard som viser hvor mørk leirveps Odynerus spinipes er observert

Siden siteres som

Artsdatabanken: Mørk leirveps Odynerus spinipes (Linnaeus, 1758)

Hentet fra https://artsdatabanken.no/arter/takson/77478