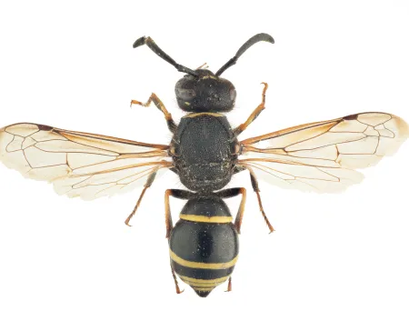
Bringebærveps er lokalt vanlig på Østlandet i solrike områder med variert vegetasjon i kulturlandskapet. Arten ligner leirvepsene, men har kraftigere bakhode og en dyp innskjæring i munnskjoldet.
Navn og taksonomi
- Vitenskapelig navn:
- Gymnomerus laevipes (Shuckard, 1837)
- Synonymer:
- Ingen
- Bokmål:
- bringebærveps
- Nynorsk:
- Ingen
- Nordsamisk/Davvisámegiella:
- Ingen
- Vitenskapelig navn ID:
- 119236
- Takson ID:
- 77482
Artsnavn
Av
Arnstein Staverløkk
Utgiver
Norsk institutt for naturforskning
Kategori
Fastlands-Norge
LC
Livskraftig
Forvekslingsarter
Registrerte funn
Laster funn i kart...
Registrerte funn i Norge
0
Funn totalt
0
Funn denne uken
0
Funn i dag
Bilder
Artsnavn
Av
Arnstein Staverløkk
Utgiver
Norsk institutt for naturforskning
Artsnavn
Av
Arnstein Staverløkk
Utgiver
Norsk institutt for naturforskning
Siden siteres som
Artsdatabanken: Bringebærveps Gymnomerus laevipes (Shuckard, 1837)
Hentet fra https://artsdatabanken.no/arter/takson/77482