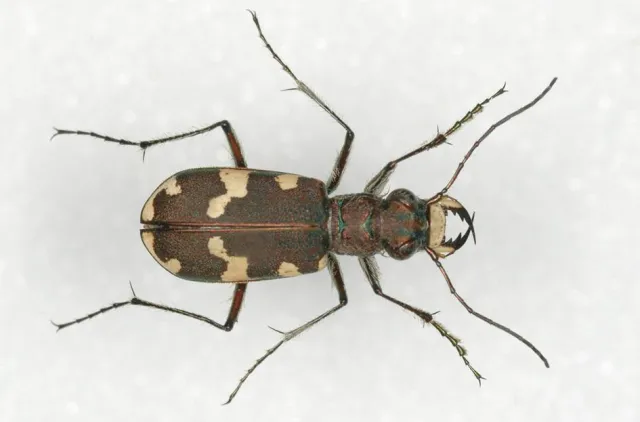
Sandjegerne har lange bein, store øyne, store kjever og er utpregete rovdyr som lever av andre insekter. De har karakteristiske fargemønster på dekkvingene som gjør dem enkle å skille fra andre biller.
Innhold
Artsnavn
Av
Oddvar Hanssen
Utgiver
Norsk institutt for naturforskning
Lisens
CC BY 3.0 (Navngivelse)
Om denne siden
Publisert: 3. september 2024Utgiver
NTNU Vitenskapsmuseet
Lisens
Siden siteres som
Frode Ødegaard: Sandjegere Cicindelinae Latreille, 1802
Hentet fra https://artsdatabanken.no/arter/takson/5212/beskrivelse