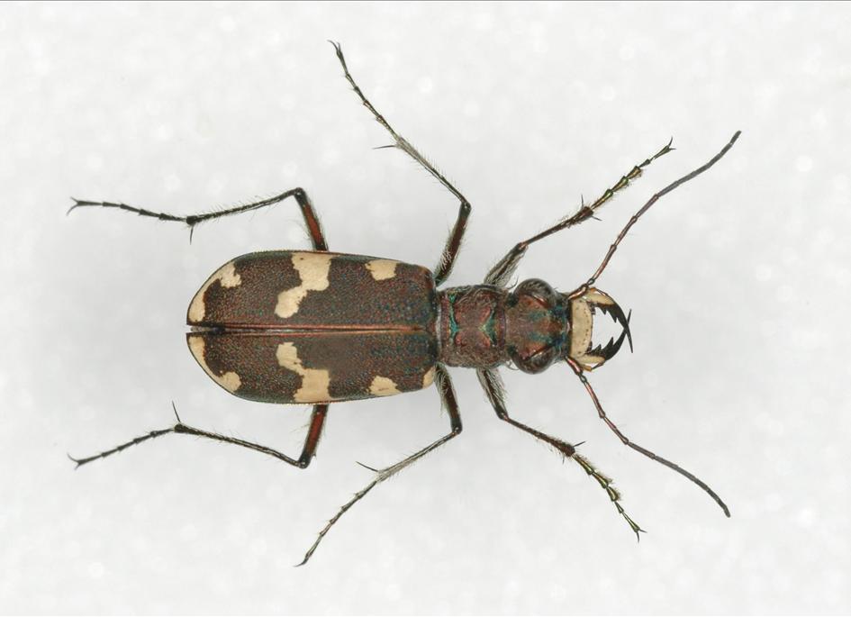
Sandjegerne har lange bein, store øyne, store kjever og er utpregete rovdyr som lever av andre insekter. De har karakteristiske fargemønster på dekkvingene som gjør dem enkle å skille fra andre biller.

Les hele beskrivelsen

Navn og taksonomi

Vitenskapelig navn:
Cicindelinae Latreille, 1802
Synonymer:
Ingen
Bokmål:
sandjegere
Nynorsk:
sandjegerar
Nordsamisk/Davvisámegiella:
Ingen
Vitenskapelig navn ID:
5321
Takson ID:
5212
Gå til Nortaxa for flere detaljer
Bildet mangler beskrivelse
Av
Oddvar Hanssen
Utgiver
Norsk institutt for naturforskning

Taksoner i artsgruppen

Registrerte funn i Norge

Funn totalt
Funn denne uken
Funn i dag
Kart over Norge og Svalbard som viser hvor sandjegere Cicindelinae er observert

Siden siteres som

Artsdatabanken: Sandjegere Cicindelinae Latreille, 1802

Hentet fra https://artsdatabanken.no/arter/takson/5212