Hovedtype

Kald havkilde

NA-MC06

NA-MC06 Kald havkilde omfatter marine sedimentbunnsystemer som påvirkes av gasser og/eller væsker som strømmer ut fra et oppkomme på havbunnen. Temperaturen på utstrømmingsmaterialet er tilnærmet lik havvannets temperatur på stedet.

Innhold

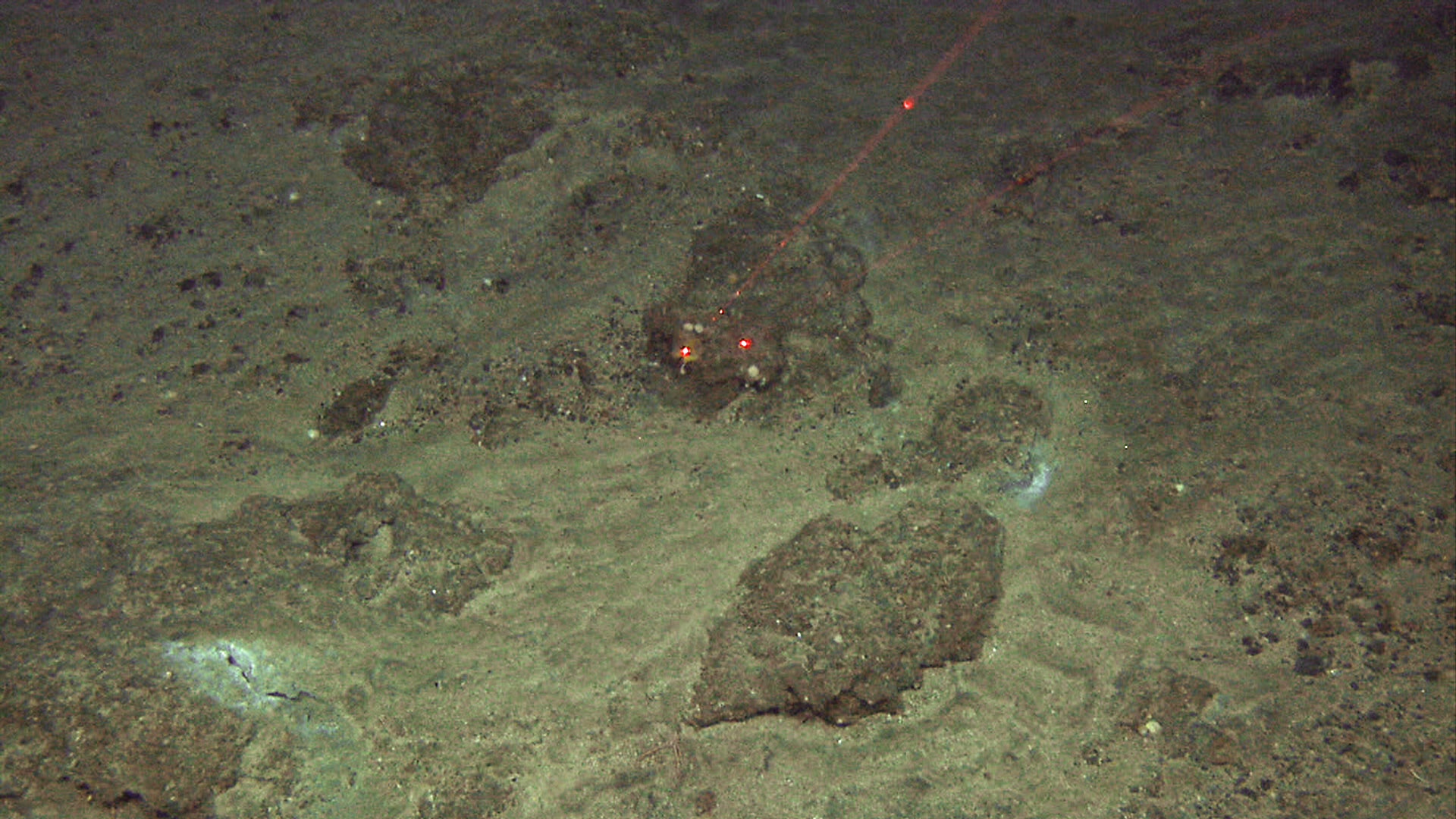
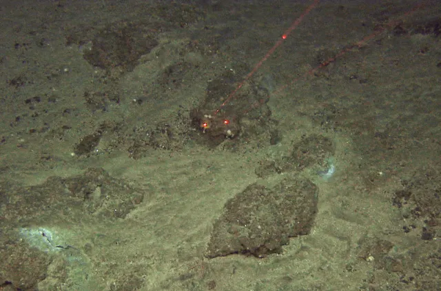
Bildet mangler beskrivelse

Bildet er tatt på 207 m dyp i Hola utenfor Vesterålen. Avstanden mellom de to røde laserpunktene er 10 cm.

Utgiver
MAREANO / Havforskningsinstituttet

NA-MC06 Kald havkilde omfatter sedimentbunn nær et oppkomme der gasser og/eller væsker strømmer ut på havbunnen, og hvor materialet som strømmer ut har en temperatur som er tilnærmet lik havvannets temperatur på stedet. Iblant forårsaker materialstrømmen dannelse av utstrømmingsgroper (pockmarks) rundt oppkommet. En stor andel av pockmarks på sjøbunnen er imidlertid inaktive, etter en aktiv fase mot slutten av, eller etter, siste istid. Inaktive pockmarks er en marin landform (FL-N04), men skal ikke tilordnes denne hovedtypen. Rundt kalde gassoppkommer kan det dannes karakteristiske karbonatskorper og bakteriematter som er synlige på undervannsfoto/video. Karbonatskorpene kan danne tredimensjonale strukturer som er et ofte foretrukket fiskehabitat. Bunndyr drar også nytte av økt næringstilgang fra materialstrømmen. Aktive kalde havkilder kan derfor være "oaser" med særlig høy artsrikdom.I spesielle tilfeller, kanskje betinget av særlig sterk utstrømming, kan utstrømmingsmaterialet inneholde store mengder gassfylt leire. Da kan det dannes en spesiell landform, FL-N05 Slamvulkan. To slamvulkaner (eller muddervulkaner) er kjent fra norske farvann: Håkon Mosby-vulkanen 1 250 muh. på Bjørnøyflaket, mellom Vesterålen og Svalbard og Borealis-vulkanen 400 muh i Bartentshavet litt lengre øst. I begge disse består utstrømmingsmaterialet hovedsakelig av vann, metan og finmateriale ("slam"). Ved muddervulkanene er det observert bakterier, fisk og spesialiserte evertebrater som utnytter metan.

Definisjon

NA-MC06 Kald havkilde er en miljøstressbetinget hovedtype på marin sedimentbunn, hovedsakelig i det afotiske beltet. Den er betinget av LM-KI Kildevannspåvirkning med en styrke som minst tilsvarer LM-KI_e ustabil kilde. LM-KI er kategorisert som en miljøstressvariabel, men der utstrømmingen er særlig sterk, har utstrømmingsmaterialet også en klar forstyrrelseseffekt.

Utbredelse og forekomst

Kalde havkilder (inkludert gassoppkommer) er kjent fra kontinentalsokkelen og kontinentalskråningen i Nordsjøen, Norskehavet og Barentshavet. Den dypeste kjente forekomsten er i Molloydypet på 3934 meter, hvor en gass-søyle på over 3000 meter er observert. Mer enn 5000 kalde gassoppkommer er kjent fra Mareanos kartlegging (Thorsnes et al. 2023), og det foreligger også mange observasjoner fra andre kilder.

Inndeling

Hovedtypen er delt inn i fem grunntyper på grunnlag av variasjon i to miljøvariabler: LM-HV – hav-vannmasser (vLKM): Denne miljøfaktoren er representert med tre hovedtypetilpassete klasser i denne hovedtypen: atlantisk vann (LM-HV_B), intermediært vann (LM-HV_C) og dyphavsvann (LM-HV_D).LM_KT Havkilde-type (bLKM): Denne miljøfaktoren er representert med to hovedtypetilpassete klasser i denne hovedtypen: vann- og gassførende kald havkilde (LM-KT_A) og mudderførende kald havkilde (LM-KT_B).

Variasjon

Ingen kjente LKM beskriver ytterligere observerbar variasjon (oLKM) innenfor hovedtypen.

Forvekslingsenheter

NA-MC06 Kald havkilde og MA-MC07 Varm havkilde: Begge hovedtypene er betinget av LM-KI Kildevannspåvirkning med en styrke som minst tilsvarer LM-KI_e ustabil kilde. NA-MC07 Varm havkilde skilles fra NA-MC06 Kald havkilde ved sin definerede LKM, LM-JV Jordvarme. Tilordning til NA-MC07 forutsetter temperatur i utstrømmingsmaterialet som er minst 2 °C høyere enn sammenliknbare steder uten utstrømming, som resulterer i en betydelig forskjell i artssammensetning.

Relasjon til NiN 2.3

Denne hovedtypen tilsvarer M11 Kaldt gassoppkomme i NiN 2.3. Grunntypeinndelingen er revidert, og antallet grunntyper er redusert fra sju til fem.

Kunnskapsstatus

Variasjonen i artssammensetning i tilknytning til kalde havkilder er foreløpig lite undersøkt i norske farvann, og grunntypeinndelingen er tentativ. Det finnes imidlertid observasjoner som indikerer at artssammensetningen kan inneholde flere arter med spesiatilpasninger.

Kilder

Mienert J, Dowdeswell JA og Taylor J (2003) The Håkon Mosby mud volcano. I: Mienert J, Weaver P (red.) European margin sediment dynamics, Springer, Berlin, s. 119-122.Thorsnes T, Chand S, Bellec V, Nixon FC, Brunstad H, Lepland A, og Aarrestad SM (2023) Gas seeps in Norwegian waters – distribution and mechanisms. Norwegian Journal of Geology 103: 202309: 1–32.Åstrøm EKL, Carroll ML, Ambrose WG, Sen A, Silyakova A. og Carroll J (2018) Methane cold seeps as biological oases in the high-Arctic deep sea. Limnology and Oceanography 63: 209–231.


Siden siteres som

Artsdatabanken, Kald havkilde NA-MC06

Hentet fra https://artsdatabanken.no/naturtyper/natur-i-norge/NIN-3.0-T-C-PE-NA-MB-A-MC06/beskrivelse