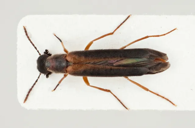
Skipsverftsbille Lymexylon navale utvikler seg i barkløse, grove stammer av soleksponerte gamle eiker. Den er funnet på sommervarme lokaliteter i områder med god tilgang på grove eiketrær.
Navn og taksonomi
- Vitenskapelig navn:
- Lymexylon navale (Linnaeus, 1758)
- Synonymer:
- Ingen
- Bokmål:
- skipsverftsbille
- Nynorsk:
- Ingen
- Nordsamisk/Davvisámegiella:
- Ingen
- Vitenskapelig navn ID:
- 9349
- Takson ID:
- 9240
Artsnavn
Av
Arnstein Staverløkk
Utgiver
Norsk institutt for naturforskning
Lisens
CC BY 3.0 (Navngivelse)
Kategori
Fastlands-Norge
CR
Kritisk truet
Registrerte funn
Laster funn i kart...
Registrerte funn i Norge
0
Funn totalt
0
Funn denne uken
0
Funn i dag
Bilder
Artsnavn
Av
Arnstein Staverløkk
Utgiver
Norsk institutt for naturforskning
Lisens
CC BY 3.0 (Navngivelse)
Artsnavn
Av
Oddvar Hanssen
Utgiver
Norsk institutt for naturforskning
Lisens
CC BY 4.0 (Navngivelse)
Siden siteres som
Artsdatabanken: Skipsverftsbille Lymexylon navale (Linnaeus, 1758)
Hentet fra https://artsdatabanken.no/index.php/arter/takson/9240