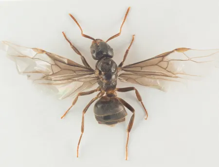
Huldrejordmaur er en sjelden art som lever underjordisk i rike og varmekjære skogkanter. Arten er lett å kjenne igjen på innskjæringen i petiolen og jevnt fordelt utstående behåring på bakkroppen. Arten er nylig påvist i Norge og det foreligger kun noen spredte funn på Østlandet.

Les hele beskrivelsen

Navn og taksonomi

Vitenskapelig navn:
Lasius citrinus Emery, 1922
Synonymer:
Ingen
Bokmål:
huldrejordmaur
Nynorsk:
Ingen
Nordsamisk/Davvisámegiella:
Ingen
Vitenskapelig navn ID:
137721
Takson ID:
95708
Gå til Nortaxa for flere detaljer
The image is missing a description
Av
Arnstein Staverløkk
Utgiver
Norsk institutt for naturforskning

Kategori

Fastlands-Norge

Forvekslingsarter

Registrerte funn i Norge

Funn totalt
Funn denne uken
Funn i dag
Kart over Norge og Svalbard som viser hvor huldrejordmaur Lasius citrinus er observert

Levested

Skog

Skogarealer, med unntak av treplantasjer, semi-naturlig eng som er tresatt og skog som påvirkes av flom.

Habitatinformasjonen er hentet fra Rødlista for arter.


Siden siteres som

Artsdatabanken: Huldrejordmaur Lasius citrinus Emery, 1922

Hentet fra https://artsdatabanken.no/arter/takson/95708