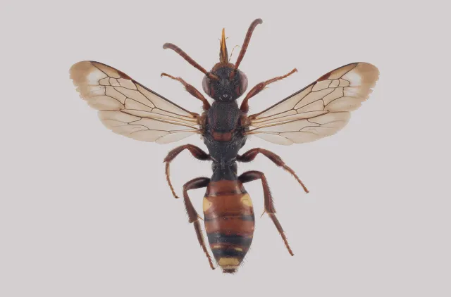
Fjellvepsebie er trolig en av Norges vanligste vepsebier. Arten har i lang tid gått under navnet Nomada panzeri, som har vist seg å bestå av flere arter som parasitterer på hver sine arter av sandbier. Fjellvepsebie parasitterer på fjellsandbie Andrena lapponica. Nomada glabella sensu Stückhert må anses som et midlertidig navn i påvente av en større revisjon av Nomada panzeri-komplekset.
Navn og taksonomi
- Vitenskapelig navn:
- Nomada glabella sensu Stöckhert, 1930 nec Thomson, 1870
- Synonymer:
- Ingen
- Bokmål:
- fjellvepsebie
- Nynorsk:
- Ingen
- Nordsamisk/Davvisámegiella:
- Ingen
- Vitenskapelig navn ID:
- 135414
- Takson ID:
- 92926
Artsnavn
Av
Arnstein Staverløkk
Utgiver
Norsk institutt for naturforskning
Lisens
CC BY 3.0 (Navngivelse)
Forvekslingsarter
Registrerte funn
Laster funn i kart...
Registrerte funn i Norge
0
Funn totalt
0
Funn denne uken
0
Funn i dag
Bilder
Artsnavn
Av
Arnstein Staverløkk
Utgiver
Norsk institutt for naturforskning
Lisens
CC BY 3.0 (Navngivelse)
Siden siteres som
Artsdatabanken: Fjellvepsebie Nomada glabella sensu Stöckhert, 1930 nec Thomson, 1870
Hentet fra https://artsdatabanken.no/arter/takson/92926