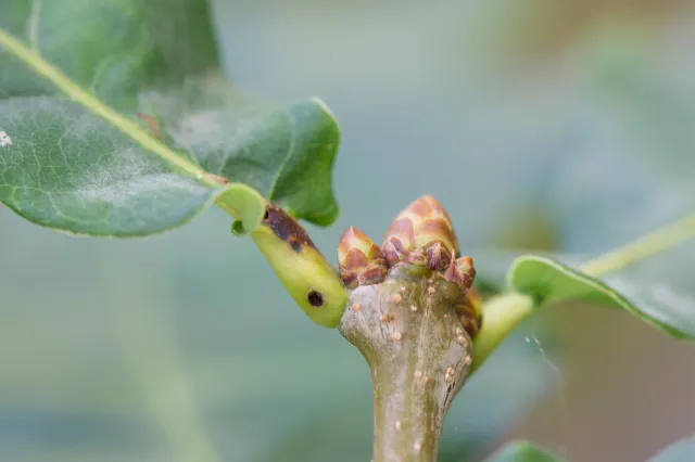
Andricus sieboldi har to generasjoner. Vintergallen dannes i barken på eik ved treets basis og ser ut som vorter eller nagler i barken. Arten opptrer oftest på unge eiketrær ved basis av stammen og på greiner som ligger langs bakken og er dekket av vegetasjon. Den ses ofte i en ansamling på 10–20 galler. I Norge er arten vanlig på Østlandet.

Les hele beskrivelsen

Navn og taksonomi

Vitenskapelig navn:
Andricus sieboldi (Hartig 1843)
Synonymer:
<i>Cynips corticalis</i> Hartig 1840 <i>Andricus occidentalis</i> Folliot 1964 <i>Andricus poissoni</i> Folliot 1964 <i>Cynips quercuscorticalis</i> Hartig 1834 <i>Cynips ramicola</i> Schlechtendal 1870
Bokmål:
Ingen
Nynorsk:
Ingen
Nordsamisk/Davvisámegiella:
Ingen
Vitenskapelig navn ID:
132729
Takson ID:
89807
Gå til Nortaxa for flere detaljer
Species name
Av
Arnstein Staverløkk
Utgiver
Norsk institutt for naturforskning
Last ned (2.29 MB, JPG)

Registrerte funn

Registrerte funn i Norge

0 Funn totalt
0 Funn denne uken
0 Funn i dag

Bilder

Species name
Av
Arnstein Staverløkk
Utgiver
Norsk institutt for naturforskning
Last ned (2.61 MB, JPG)
Species name
Av
Arnstein Staverløkk
Utgiver
Norsk institutt for naturforskning
Last ned (3.04 MB, JPG)
Species name
Av
Arnstein Staverløkk
Utgiver
Norsk institutt for naturforskning
Last ned (2.29 MB, JPG)
Species name
Av
Arnstein Staverløkk
Utgiver
Norsk institutt for naturforskning
Last ned (1.16 MB, JPG)
Species name
Av
Arnstein Staverløkk
Utgiver
Norsk institutt for naturforskning
Last ned (1.1 MB, JPG)