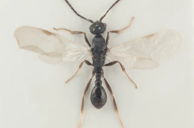
Eikesmalmaur danner små kolonier under bark av tørre greiner på eik og andre trær. I Norge er arten kjent fra noen varme edelløvskogsområder på Østlandet. Arten er svært vanskelig å skille fra småsmalmaur.
Navn og taksonomi
- Vitenskapelig navn:
- Leptothorax gredleri Mayr, 1855
- Synonymer:
- Ingen
- Bokmål:
- eikesmalmaur
- Nynorsk:
- Ingen
- Nordsamisk/Davvisámegiella:
- Ingen
- Vitenskapelig navn ID:
- 131397
- Takson ID:
- 87878
Artsnavn
Av
Frode Ødegaard
Utgiver
Norsk institutt for naturforskning
Kategori
Fastlands-Norge
NT
Nær truet
Registrerte funn
Laster funn i kart...
Registrerte funn i Norge
0
Funn totalt
0
Funn denne uken
0
Funn i dag
Bilder
Artsnavn
Av
Arnstein Staverløkk
Utgiver
Norsk institutt for naturforskning
Artsnavn
Av
Frode Ødegaard
Utgiver
Norsk institutt for naturforskning
Artsnavn
Av
Arnstein Staverløkk
Utgiver
Norsk institutt for naturforskning
Artsnavn
Av
Arnstein Staverløkk
Utgiver
Norsk institutt for naturforskning
Artsnavn
Av
Arnstein Staverløkk
Utgiver
Norsk institutt for naturforskning
Artsnavn
Av
Arnstein Staverløkk
Utgiver
Norsk institutt for naturforskning
Siden siteres som
Artsdatabanken: Eikesmalmaur Leptothorax gredleri Mayr, 1855
Hentet fra https://artsdatabanken.no/arter/takson/87878