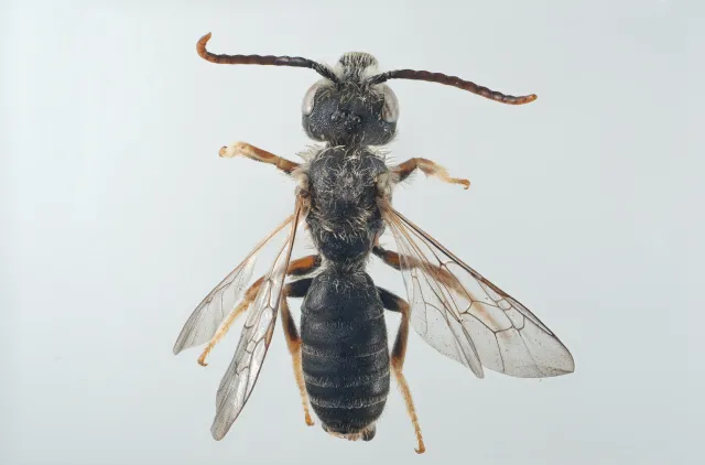
Bakkebåndbie er en av våre aller mest sjeldne og mest truete biearter. Den er kun kjent fra én lokalitet i Buskerud, der den flyr i kalkrike tørrbakker. De overvintrende hunnene kommer ut i juni og besøker gjerne hårsvever, mens sommergenerasjonen er knyttet til fagerknoppurt.

Les hele beskrivelsen

Navn og taksonomi

Vitenskapelig navn:
Halictus eurygnathus Blüthgen, 1930
Synonymer:
Halictus compressus (Walckener, 1802)
Bokmål:
bakkebåndbie
Nynorsk:
bakkebandbie
Nordsamisk/Davvisámegiella:
Ingen
Vitenskapelig navn ID:
119872
Takson ID:
78091
Gå til Nortaxa for flere detaljer
Bildet mangler beskrivelse
Av
Arnstein Staverløkk
Utgiver
Norsk institutt for naturforskning

Kategori

Fastlands-Norge

Registrerte funn i Norge

Funn totalt
Funn denne uken
Funn i dag
Kart over Norge og Svalbard som viser hvor bakkebåndbie Halictus eurygnathus er observert

Levested

Semi-naturlig mark

Samlebetegnelse på åpne eller spredt tresatte fastmarkssystemer som er formet og betinget av tradisjonell hevd.

Kyst

Samlebetegnelse på en rekke kysttilknyttede fastmarkssystemer.

Habitatinformasjonen er hentet fra Rødlista for arter.


Siden siteres som

Artsdatabanken: Bakkebåndbie Halictus eurygnathus Blüthgen, 1930

Hentet fra https://artsdatabanken.no/arter/takson/78091