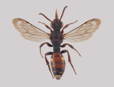
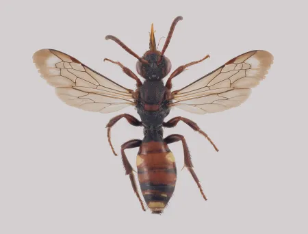
Skogvepsebie er Norges vanligste og mest utbredte vepsebie. Den flyr fra slutten av mai til begynnelsen av juli i skogkanter og lysninger. Skogvepsebie finnes i store deler av landet, helt opp til skoggrensen.
Navn og taksonomi
- Vitenskapelig navn:
- Nomada panzeri Lepeletier, 1841
- Synonymer:
- Ingen
- Bokmål:
- skogvepsebie
- Nynorsk:
- skogvepsebie
- Nordsamisk/Davvisámegiella:
- Ingen
- Vitenskapelig navn ID:
- 119715
- Takson ID:
- 77941
Artsnavn
Av
Arnstein Staverløkk
Utgiver
Norsk institutt for naturforskning
Lisens
CC BY 3.0 (Navngivelse)
Kategori
Fastlands-Norge
LC
Livskraftig
Forvekslingsarter
Registrerte funn
Laster funn i kart...
Registrerte funn i Norge
0
Funn totalt
0
Funn denne uken
0
Funn i dag
Bilder
Artsnavn
Av
Arnstein Staverløkk
Utgiver
Norsk institutt for naturforskning
Lisens
CC BY 3.0 (Navngivelse)
Siden siteres som
Artsdatabanken: Skogvepsebie Nomada panzeri Lepeletier, 1841
Hentet fra https://artsdatabanken.no/arter/takson/77941