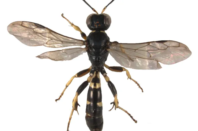
Navn og taksonomi

Vitenskapelig navn:
Crossocerus subulatus (Dahlbom, 1845)
Synonymer:
Ingen
Bokmål:
praktskoggraver
Nynorsk:
Ingen
Nordsamisk/Davvisámegiella:
Ingen
Vitenskapelig navn ID:
119460
Takson ID:
77697
Gå til Nortaxa for flere detaljer
The image is missing a description
Av
Oddvar Hanssen
Utgiver
Norsk institutt for naturforskning

Kategori

Fastlands-Norge

Registrerte funn i Norge

Funn totalt
Funn denne uken
Funn i dag
Kart over Norge og Svalbard som viser hvor praktskoggraver Crossocerus subulatus er observert

Levested

Skog

Skogarealer, med unntak av treplantasjer, semi-naturlig eng som er tresatt og skog som påvirkes av flom.

Habitatinformasjonen er hentet fra Rødlista for arter.


Siden siteres som

Artsdatabanken: Praktskoggraver Crossocerus subulatus (Dahlbom, 1845)

Hentet fra https://artsdatabanken.no/arter/takson/77697