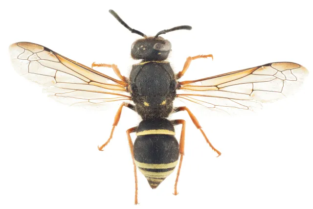
Håret murerveps er en av våre vanligste arter av murerveps, og den finnes over hele landet opp til skoggrensa. Arten påtreffes i mange ulike miljøer, men er særlig vanlig i sandområder. I Norge har arten oftest gulhvite bånd på bakkroppen. Hannen karakteriseres av svært dypt innskåret munnskjold, mens hunnenes særtrekk er en påfallende rødoransje farge på beina.
Navn og taksonomi
- Vitenskapelig navn:
- Ancistrocerus oviventris Wesmael, 1836
- Synonymer:
- Ingen
- Bokmål:
- håret murerveps
- Nynorsk:
- Ingen
- Nordsamisk/Davvisámegiella:
- Ingen
- Vitenskapelig navn ID:
- 119249
- Takson ID:
- 77495
Av
Arnstein Staverløkk
Utgiver
Norsk institutt for naturforskning
Kategori
Fastlands-Norge
LC
Livskraftig
Registrerte funn
Laster funn i kart...
Registrerte funn i Norge
0
Funn totalt
0
Funn denne uken
0
Funn i dag
Bilder
Av
Arnstein Staverløkk
Utgiver
Norsk institutt for naturforskning
Av
Arnstein Staverløkk
Utgiver
Norsk institutt for naturforskning
Siden siteres som
Artsdatabanken: Håret murerveps Ancistrocerus oviventris Wesmael, 1836
Hentet fra https://artsdatabanken.no/arter/takson/77495