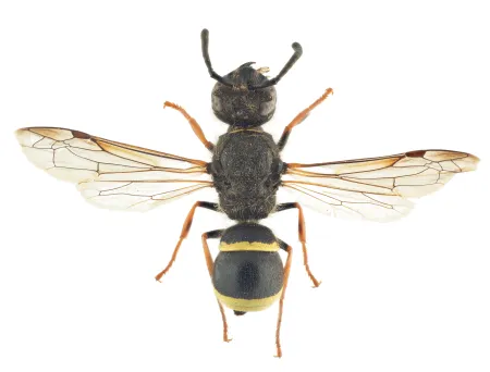
Trebåndet murerveps er en av de aller vanligste murervepsartene i Sør-Norge og forekommer gjerne i nærheten av der folk bor. Den kjennetegnes på at den har tre gule bakkroppsbånd og en påfallende langstrakt kropp, men er vanskelig å identifisere i felt.
Navn og taksonomi
- Vitenskapelig navn:
- Ancistrocerus trifasciatus (Müller, 1776)
- Synonymer:
- Ingen
- Bokmål:
- trebåndet murerveps
- Nynorsk:
- Ingen
- Nordsamisk/Davvisámegiella:
- Ingen
- Vitenskapelig navn ID:
- 119244
- Takson ID:
- 77490
Av
Arnstein Staverløkk
Utgiver
Norsk institutt for naturforskning
Kategori
Fastlands-Norge
LC
Livskraftig
Forvekslingsarter
Registrerte funn
Laster funn i kart...
Registrerte funn i Norge
0
Funn totalt
0
Funn denne uken
0
Funn i dag
Bilder
Av
Arnstein Staverløkk
Utgiver
Norsk institutt for naturforskning
Av
Arnstein Staverløkk
Utgiver
Norsk institutt for naturforskning
Siden siteres som
Artsdatabanken: Trebåndet murerveps Ancistrocerus trifasciatus (Müller, 1776)
Hentet fra https://artsdatabanken.no/arter/takson/77490