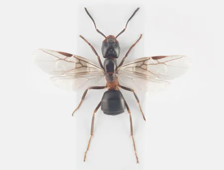
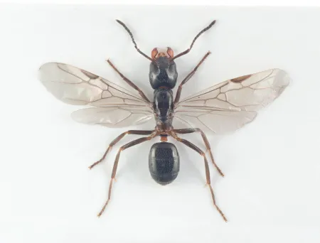
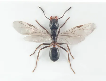
Lys heimaur er en mellomstor art med påfallende rund hodeform og lys farge. Arten lager ganske små tuer med uregelmessig overflate. Tuene anlegges i myrkanter eller i åpne skogkanter og gjerne rundt en stubbe. Arten finnes trolig over det meste av landet, men er nokså sjelden og lokal.

Les hele beskrivelsen

Navn og taksonomi

Vitenskapelig navn:
Formica suecica Adlerz, 1902
Synonymer:
Ingen
Bokmål:
lys heimaur
Nynorsk:
Ingen
Nordsamisk/Davvisámegiella:
Ingen
Vitenskapelig navn ID:
119225
Takson ID:
77471
Gå til Nortaxa for flere detaljer
Av
Arnstein Staverløkk
Utgiver
Norsk institutt for naturforskning
Last ned (1.47 MB, JPG)

Kategori

Fastlands-Norge

Forvekslingsarter

Registrerte funn

Registrerte funn i Norge

0 Funn totalt
0 Funn denne uken
0 Funn i dag

Bilder

Av
Frode Ødegaard
Utgiver
Norsk institutt for naturforskning
Last ned (612.1 KB, JPG)
Av
Frode Ødegaard
Utgiver
Norsk institutt for naturforskning
Last ned (822.23 KB, JPG)
Av
Arnstein Staverløkk
Utgiver
Norsk institutt for naturforskning
Last ned (604.24 KB, JPG)
Av
Arnstein Staverløkk
Utgiver
Norsk institutt for naturforskning
Last ned (1.47 MB, JPG)
Av
Frode Ødegaard
Utgiver
Norsk institutt for naturforskning
Last ned (482.89 KB, JPG)
Av
Arnstein Staverløkk
Utgiver
Norsk institutt for naturforskning
Last ned (2.36 MB, JPG)