Blank heimaur er knyttet til tørre, åpne områder i lavlandet og er funnet spredt i kulturlandskapet på Østlandet. Den danner små halvkuleformete tuer av fint gress og flere tuer finnes gjerne sammen. Arten har vært sammenblandet med matt heimaur.

Innhold

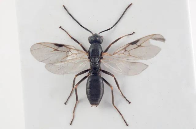
The image is missing a description
Av
Arnstein Staverløkk
Utgiver
Norsk institutt for naturforskning

Dronning av blank heimaur Formica pressilabris.

Kjennetegn

Blank heimaur Formica pressilabris er en middels stor art som, i likhet med matt heimaur F. foreli, karakteriseres av svært spredt og lite omfattende behåring. Arbeiderne har som hos andre heimaur Formica sg. Coptoformica en vid og dyp fordypning i pannen når hodet sees forfra. Den mangler mikrohår på øyene, som hos matt heimaur, og den nedliggende behåringen på hodet er svært spredt. Arten mangler lengre hår i en rekke langs bakkanten på alle de tre første tergittene. Mikrobehåringen på T1 er ganske spredt. Yttersiden av bakleggene (tibiae) har 0–4 utstående hår, framhoftene mangler alltid utstående hår, mens munnskjoldet kun har utstående hår langs framkanten.

Dronningen er relativt liten og ofte ikke større enn en arbeider. Hodet er blankt, nesten som hos dvergheimaur F. forsslundi. Behåringen hos dronningen ligner den hos arbeiderne.

Hannene mangler mikrohår på øyene og har spredt behåring på pannen. Den mangler også utstående behåring på mellomkroppen og på framhoftene.

Lengde: arbeider, 4–6,5 mm; dronning, 5–6,5 mm; hann, 5–6,5 mm.

The image is missing a description
Av
Arnstein Staverløkk
Utgiver
Norsk institutt for naturforskning

Arbeider av blank heimaur Formica pressilabris.

The image is missing a description
Av
Arnstein Staverløkk
Utgiver
Norsk institutt for naturforskning

Hann av blank heimaur Formica pressilabris.

The image is missing a description
Av
Arnstein Staverløkk
Utgiver
Norsk institutt for naturforskning

Hode hos dronning av blank heimaur Formica pressilabris.

The image is missing a description
Av
Arnstein Staverløkk
Utgiver
Norsk institutt for naturforskning

Hode hos arbeider av blank heimaur Formica pressilabris.

Utbredelse

Blank heimaur er utbredt i sørlige deler av Fennoskandia, Mellom-Europa og europeiske deler av Russland. Det finnes også isolerte forekomster ved Baikalsjøen og i Tibet.

I Norge er arten funnet spredt i lavlandet på Østlandet i Hedmark, Akershus, Buskerud, Vestfold og Telemark (Holgersen 1940, Collingwood 1976, Ødegaard et al. 2015). Første norsk funn ble gjort på Blindern i Oslo i 1938 (Holgersen 1940).

Levesett

Blank heimaur er i Norge funnet spredt i ekstensivt drevet kulturlandskap i lavlandet på Østlandet. Arten bygger relativt små og halvkuleformete tuer med en diameter på mellom 15–40 cm. Tuer på opptil 1 m i diameter er kjent fra utlandet. Ofte finnes flere tuer tett sammen (polykalisk).

Nye tuer dannes ved at dronningen tar over en koloni av sauemaur Formica sg. Serviformica. Det er ikke kjent hvilke arter den bruker som temporær vert, men i Norge er det mest sannsynlig svart sauemaur Formica fusca eller rød sauemaur F. rufibarbis.

Koloniene har oftest flere dronninger (polygyne), spesielt der flere kolonier finnes sammen. Koloniene kan bestå av opptil 2000 arbeidere.

Arten henter honningdugg fra bladlus på urter, mens predasjon kun er observert i svært liten grad.

Svermingen skjer som regel en gang i perioden fra midten av juli til midten av august.

Forberedelse til sverming hos blank heimaur Formica pressilabris. Huseby, Larvik i Vestfold 30. juni 2014.

Forvekslingsarter

Blank heimaur kan forveksles med de fleste andre arter av heimaur Formica sg. Coptoformica, men spesielt matt heimaur Formica foreli. Disse to artene skilles fra andre heimaur på at de mangler mikrohår på øynene og hårrekker langs bakkanten av T1, T2 og T3. De er også helt hårløse på framhoftenes framside. Arbeiderne av blank heimaur skilles fra matt heimaur på at den nedliggende behåringen på hodet og bakkroppen er noe mer spredt hos den førstnevnte arten. Antenneskaftet hos blank heimaur er noe kortere enn hos matt heimaur. Det er helt nødvendig å studere materiale av begge arter for å se disse forskjellene.

Dronningene av de to artene er enklere å skille da blank heimaur er mer skinnende blank på kroppen. Dette er særlig framtredende på hodet og pannen, der matt heimaur er matt av tydelig mikrochagrinering. Hos blank heimaur er dessuten dronningen tydelig mindre enn hos matt heimaur. Dronningene av begge disse artene mangler mikrohår på øynene og hårrekker langs bakkantene av alle tergittene og er slik sett enkle å skille fra andre heimaurdronninger.

Hannene av blank heimaur har svært korte, tynne mikrohår på øynene og er svært lik de hos matt heimaur. Førstnevnte er ofte noe mindre, samt at den nedliggende behåringen på hodet og pannen er noe mer spredt slik at den virker noe blankere enn matt heimaur. Hannene skilles ellers fra andre heimaurhanner på at de mangler utstående behåring på de fire første tergittene.

The image is missing a description
Av
Arnstein Staverløkk
Utgiver
Norsk institutt for naturforskning

Tue av blank heimaur Formica pressilabris. Huseby, Larvik i Vestfold.

The image is missing a description
Av
Frode Ødegaard
Utgiver
Norsk institutt for naturforskning

Tue av blank heimaur Formica pressilabris. Hellåsen, Porsgrunn i Telemark.

The image is missing a description
Av
Frode Ødegaard
Utgiver
Norsk institutt for naturforskning

Tue av blank heimaur Formica pressilabris. Hellåsen, Porsgrunn i Telemark.

The image is missing a description
Av
Arnstein Staverløkk
Utgiver
Norsk institutt for naturforskning

Arbeidere av blank heimaur Formica pressilabris. Huseby, Larvik i Vestfold.

The image is missing a description
Av
Frode Ødegaard
Utgiver
Norsk institutt for naturforskning

Habitat for blank heimaur Formica pressilabris. Hellåsen, Porsgrunn i Telemark.

Om denne siden

Publisert: 17. februar 2015
Forfattere
Frode Ødegaard
Arnstein Staverløkk
Jan Ove Gjershaug
Utgiver
Norsk institutt for naturforskning