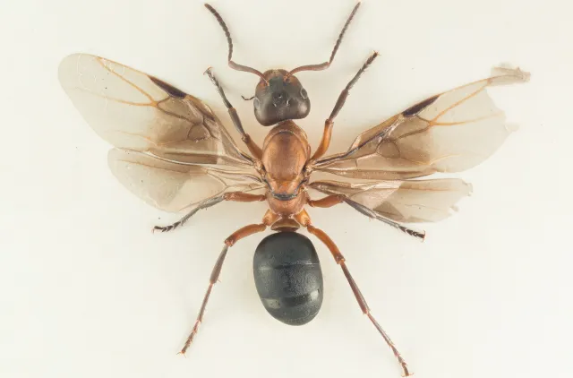
Rovmaur er utbredt over det meste av landet og finnes i varme skogkanter eller på annen åpen mark. Arten danner som oftest samfunn i stubber, under bark eller i sprekker i marka. De samler grovt materiale i svært uregelmessig utflytende tuer og holder sauemaur som slaver. Utseendemessig ligner de skogmaur, men en lett å kjenne igjen på innbuktningen i munnskjoldet.
Navn og taksonomi
- Vitenskapelig navn:
- Formica sanguinea Latreille, 1798
- Synonymer:
- Ingen
- Bokmål:
- rovmaur
- Nynorsk:
- Ingen
- Nordsamisk/Davvisámegiella:
- Ingen
- Vitenskapelig navn ID:
- 119220
- Takson ID:
- 77466
Artsnavn
Av
Arnstein Staverløkk
Utgiver
Norsk institutt for naturforskning
Kategori
Fastlands-Norge
LC
Livskraftig
Forvekslingsarter
Registrerte funn
Laster funn i kart...
Registrerte funn i Norge
0
Funn totalt
0
Funn denne uken
0
Funn i dag
Bilder
Artsnavn
Av
Frode Ødegaard
Utgiver
Norsk institutt for naturforskning
Artsnavn
Av
Arnstein Staverløkk
Utgiver
Norsk institutt for naturforskning
Artsnavn
Av
Arnstein Staverløkk
Utgiver
Norsk institutt for naturforskning
Artsnavn
Av
Arnstein Staverløkk
Utgiver
Norsk institutt for naturforskning
Artsnavn
Av
Arnstein Staverløkk
Utgiver
Norsk institutt for naturforskning
Artsnavn
Av
Arnstein Staverløkk
Utgiver
Norsk institutt for naturforskning
Siden siteres som
Artsdatabanken: Rovmaur Formica sanguinea Latreille, 1798
Hentet fra https://artsdatabanken.no/arter/takson/77466