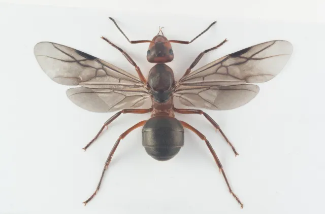
Stubbemaur er utbredt over hele landet og finnes i åpne områder og skogkanter både på myr og i tørre varme skrenter. Tuene er som regel helt flate og utflytende og kan slik sett forveksles med en ansamling av barnålstrø. Arten kan også danne tuer som andre skogsmaur, men disse ser uryddige ut i overflaten. Arbeiderne er lette å kjenne igjen på det rødbrune hodet og den tette behåringen.
Navn og taksonomi
- Vitenskapelig navn:
- Formica truncorum Fabricius, 1804
- Synonymer:
- Ingen
- Bokmål:
- stubbemaur
- Nynorsk:
- Ingen
- Nordsamisk/Davvisámegiella:
- Ingen
- Vitenskapelig navn ID:
- 119218
- Takson ID:
- 77464
Artsnavn
Av
Arnstein Staverløkk
Utgiver
Norsk institutt for naturforskning
Kategori
Fastlands-Norge
LC
Livskraftig
Registrerte funn
Laster funn i kart...
Registrerte funn i Norge
0
Funn totalt
0
Funn denne uken
0
Funn i dag
Bilder
Artsnavn
Av
Arnstein Staverløkk
Utgiver
Norsk institutt for naturforskning
Artsnavn
Av
Arnstein Staverløkk
Utgiver
Norsk institutt for naturforskning
Artsnavn
Av
Frode Ødegaard
Utgiver
Norsk institutt for naturforskning
Artsnavn
Av
Frode Ødegaard
Utgiver
Norsk institutt for naturforskning
Artsnavn
Av
Arnstein Staverløkk
Utgiver
Norsk institutt for naturforskning
Siden siteres som
Artsdatabanken: Stubbemaur Formica truncorum Fabricius, 1804
Hentet fra https://artsdatabanken.no/arter/takson/77464