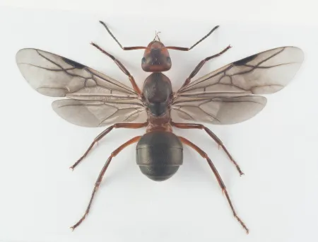
Håret skogmaur danner store tuer og er vanlig forekommende i skogsmark over hele landet, men særlig i nordlige og høyereliggende strøk. Arten er oftest enkel å skille fra de andre skogmaurartene på den omfattende oppstående behåringen på kroppen.
Navn og taksonomi
- Vitenskapelig navn:
- Formica lugubris Zetterstedt, 1838
- Synonymer:
- Ingen
- Bokmål:
- håret skogmaur
- Nynorsk:
- Ingen
- Nordsamisk/Davvisámegiella:
- Ingen
- Vitenskapelig navn ID:
- 119217
- Takson ID:
- 77463
Artsnavn
Av
Arnstein Staverløkk
Utgiver
Norsk institutt for naturforskning
Kategori
Fastlands-Norge
LC
Livskraftig
Forvekslingsarter
Registrerte funn
Laster funn i kart...
Registrerte funn i Norge
0
Funn totalt
0
Funn denne uken
0
Funn i dag
Bilder
Artsnavn
Av
Frode Ødegaard
Utgiver
Norsk institutt for naturforskning
Artsnavn
Av
Frode Ødegaard
Utgiver
Norsk institutt for naturforskning
Artsnavn
Av
Frode Ødegaard
Utgiver
Norsk institutt for naturforskning
Artsnavn
Av
Frode Ødegaard
Utgiver
Norsk institutt for naturforskning
Artsnavn
Av
Frode Ødegaard
Utgiver
Norsk institutt for naturforskning
Artsnavn
Av
Arnstein Staverløkk
Utgiver
Norsk institutt for naturforskning
Siden siteres som
Artsdatabanken: Håret skogmaur Formica lugubris Zetterstedt, 1838
Hentet fra https://artsdatabanken.no/arter/takson/77463