Nordlig skogmaur danner store tuer i ulike typer skogsmark, og ofte mange i samme området. Arten er vanlig over hele landet. Den kan være svært vanskelig å skille fra nærstående arter særlig ettersom mange kolonier i våre områder mangler behåringen som er typisk for arten.

Innhold

The image is missing a description
Av
Arnstein Staverløkk
Utgiver
Norsk institutt for naturforskning

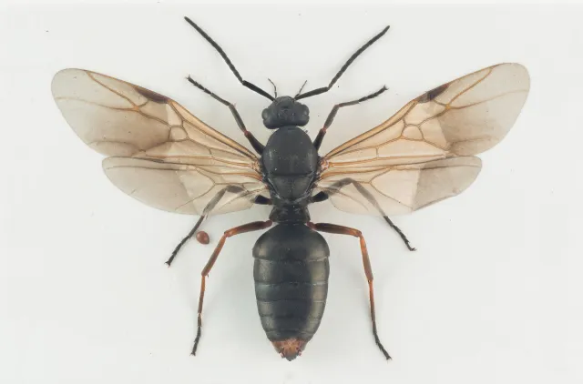
Dronning av nordlig skogmaur Formica aquilonia.

Kjennetegn

Nordlig skogmaur Formica aquilonia tilhører Formica rufa-gruppen. Typiske individer av arbeidere kjennetegnes ved at de har minst ett utstående hår langs bakkanten av hodet (og sjelden flere enn 20), samt ved at den oppstående behåringen på mellomkroppen er sparsommelig og ikke vesentlig mer tallrik og tett på mellomkroppen enn på hodets bakkant. Til sammen finnes hos de aller fleste individer 0–30 hår på framryggen. I de tilfeller der det mangler hår på hodets bakkant, mangler også oftest hår på framryggen (utseende som glatt skogmaur Formica polyctena). Bakkroppens første ryggledd (T1) er svært tett mikropunktuert og mikrochagrinert slik at den er svært matt.

Dronningen har relativt tett punktuering og tydelig mikrochagrinering på bakkroppens overside. Den har ofte noen få utstående hår i bakkant av hodet og på framsiden av første ryggledd, samt utstående hår i bakre del av første bukledd.

Hannen ligner andre skogmaur Formica s. str., men mangler, eller har kun 2–3 utstående hår på kinnene. Den har korte utstående hår på baklårets overside. Bakkroppen er tett og fint punktuert med mikrochagrinering mellom punktene og tett og fin behåring.

Lengde: arbeider, 4–8,5 mm; dronning, 8–10 mm; hann, 8–10 mm.

The image is missing a description
Av
Arnstein Staverløkk
Utgiver
Norsk institutt for naturforskning

Arbeider av nordlig skogmaur Formica aquilonia.

The image is missing a description
Av
Arnstein Staverløkk, Arnstein Staverløkk
Utgiver
Norsk institutt for naturforskning, Norsk institutt for naturforskning

Venstre antenne av glatt skogmaur Formica polyctena  (øverst) og nordlig skogmaur F. aquilonia (nederst). Legg merke til at antenneskaftet hos glatt skogmaur er noe lengre i forhold til bredden på midten enn hos nordlig skogmaur.

The image is missing a description
Av
Arnstein Staverløkk
Utgiver
Norsk institutt for naturforskning

Hann av nordlig skogmaur Formica aquilonia.

Utbredelse

Nordlig skogmaur er utbredt i hele Fennoskandia, Skottland og høyereliggende skogsområder i Mellom- og Sør-Europa. Den finnes videre østover gjennom Sibir til Kamtsjatka.

I Norge er den utbredt over hele landet og ser ut til å være mest vanlig i høyereliggende og nordlige strøk. Formica rufa-gruppen ble først utredet av Yarrow (1955) og Betrem (1960) og nordlig skogmaur ble først rapportert fra Norge av Forsslund (1957) og Collingwood (1959).

Levesett

Nordlig skogmaur er trolig den mest vanlige av alle skogsmaurartene i Fennoskandia. Den lager helst tuer i sluttet barskog men av og til også i løvskog, i skogkanter og på myr eller annen åpen soleksponert mark. Tuene er kuppelformete og består av grovt materiale og kan bli ekstremt store, noen ganger over to meter høye. Nesten alltid finnes flere tuer i samme område (polykalisk).

Nye samfunn dannes ved at nye dronninger overtar en koloni med nordlig sauemaur Formica lemani. Nordlig skogmaur har alltid flere dronninger (polygyn), opptil 1000 stykker, og store samfunn består trolig av over en million arbeidere.

Arbeiderne lever hovedsakelig av honningdugg og maurstier kan gå opp til 100 m bort fra tua til et tre med bladlus. De tar også med seg byttedyr av andre invertebrater tilbake til tua.

Svermingen skjer en gang i løpet av perioden fra begynnelsen av juni til midten av juli.

Arten er som andre arter i Formica-rufa-guppen territoriell og kan redusere tettheten av andre invertebrater i området og slik sett konkurrere med fugl og insektetende pattedyr.

Forvekslingsarter

Arbeidere av nordlig skogmaur kan som regel skilles fra andre arter i Formica rufa-gruppen på at de har noen få utstående hår i bakkant av hodet, samtidig som den utstående behåringen på framryggen er relativt fåtallig.

Kolonier med kraftig behårete arbeidere kan forveksles med rød skogmaur Formica rufa, men sistnevnte har som regel ikke eller kun få (opp til 7) hår i bakkant av hodet i kontrast mot tett behåret framrygg (ofte mer enn 50 hår). Hos tett behårete kolonier av nordlig skogmaur finnes oppmot 20 hår i bakkant av hodet uten at framryggen er påfallende tett behåret.

Flere steder i Sør- og Midt-Norge ser det ut til at mange kolonier av nordlig skogmaur har påfallende lite utviklet kroppsbehåring og kan derfor lett forveksles med glatt skogmaur Formica polyctena. Dersom man har flere arbeidere og studerer de svært nøye, kan man som regel se at flere eksemplarer har et eller få delvis utstående hår i bakkant av hodet selv om disse kan være svært korte og nesten liggende. I tillegg er mikropunkteringen på første bakkroppsledd (T1) som regel tettere og kraftigere hos nordlig skogmaur enn hos glatt skogsmaur, og hodets underside har oftest mer enn 3 hår hos nordlig skogmaur mens glatt skogmaur har høyst 2 hår der (oftest hårløs). I tvilstilfeller kan man måle antenneskaftet, der lengden (lengste målbare lengde) / bredden (bredeste tverrmål midt på leddet) = 9,0–9,5 hos nordlig skogmaur F. aquilonia og 10,0–10,5 hos glatt skogmaur F. polyctena og rød skogmaur F. rufa.

Dronningen ligner andre skogmaur i Formica rufa-gruppen og har ofte noen få utstående hår i bakkant av hodet og på framsiden av første ryggledd, samt utstående hår i bakre del av første bukledd. Den kan være vanskelig å skille fra dronningen hos håret skogmaur F. lugubris, men sistnevnet har mer matt bakkropp og lang utstående behåring i framkant av første ryggledd.

Hannen skilles fra håret skogmaur på at nordlig skogmaur som regel har færre enn 3 utstående hår på hvert av kinnene, og fra glatt skogmaur F. polyctena og rød skogmaur F. rufa på at den har en rad utstående hår på baklårets overside, samt tettere punktuering og behåring på tergittene.

The image is missing a description
Av
Frode Ødegaard
Utgiver
Norsk institutt for naturforskning

Tue av nordlig skogmaur Formica aquilonia. Jonsvatnet, Trondheim i Sør-Trøndelag.

The image is missing a description
Av
Frode Ødegaard
Utgiver
Norsk institutt for naturforskning

Tue av nordlig skogmaur Formica aquilonia. Jonsvatnet, Trondheim i Sør-Trøndelag.

The image is missing a description
Av
Frode Ødegaard
Utgiver
Norsk institutt for naturforskning

Tue av nordlig skogmaur Formica aquilonia. Morka, Oppdal i Sør-Trøndelag.

The image is missing a description
Av
Frode Ødegaard
Utgiver
Norsk institutt for naturforskning

Tue av nordlig skogmaur Formica aquilonia. Linåsmyra, Eidskog i Hedmark.

The image is missing a description
Av
Frode Ødegaard
Utgiver
Norsk institutt for naturforskning

Arbeider av nordlig skogmaur Formica aquilonia. Estenstadmarka, Trondheim i Sør-Trøndelag.

The image is missing a description
Av
Frode Ødegaard
Utgiver
Norsk institutt for naturforskning

Arbeider av nordlig skogmaur Formica aquilonia. Estenstadmarka, Trondheim i Sør-Trøndelag.

Om denne siden

Publisert: 17. februar 2015
Forfattere
Frode Ødegaard
Arnstein Staverløkk
Jan Ove Gjershaug
Utgiver
Norsk institutt for naturforskning