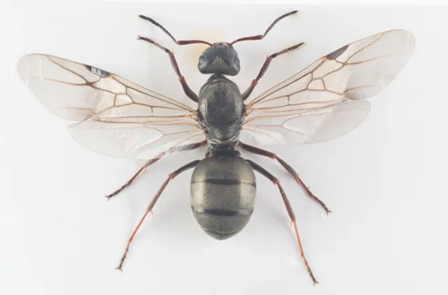
Grå sauemaur lever utelukkende i sand uten vegetasjondekke. Den ligner andre mørke sauemaurarter, men virker mer grå og matt i utseende på grunn av tett nedliggende behåring på hele kroppen. I Norge er arten kun funnet i Elverum kommune, men der er den til gjengjeld svært vanlig og finnes så og si overalt der det er åpen sand.
Navn og taksonomi
- Vitenskapelig navn:
- Formica cinerea Mayr, 1853
- Synonymer:
- Ingen
- Bokmål:
- grå sauemaur
- Nynorsk:
- Ingen
- Nordsamisk/Davvisámegiella:
- Ingen
- Vitenskapelig navn ID:
- 119209
- Takson ID:
- 77455
Artsnavn
Av
Arnstein Staverløkk
Utgiver
Norsk institutt for naturforskning
Kategori
Fastlands-Norge
VU
Sårbar
Forvekslingsarter
Registrerte funn
Laster funn i kart...
Registrerte funn i Norge
0
Funn totalt
0
Funn denne uken
0
Funn i dag
Bilder
Artsnavn
Av
Frode Ødegaard
Utgiver
Norsk institutt for naturforskning
Artsnavn
Av
Frode Ødegaard
Utgiver
Norsk institutt for naturforskning
Artsnavn
Av
Frode Ødegaard
Utgiver
Norsk institutt for naturforskning
Artsnavn
Av
Frode Ødegaard
Utgiver
Norsk institutt for naturforskning
Artsnavn
Av
Arnstein Staverløkk
Utgiver
Norsk institutt for naturforskning
Artsnavn
Av
Arnstein Staverløkk
Utgiver
Norsk institutt for naturforskning
Siden siteres som
Artsdatabanken: Grå sauemaur Formica cinerea Mayr, 1853
Hentet fra https://artsdatabanken.no/arter/takson/77455