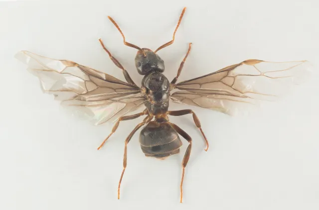
Kystjordmaur er knyttet til åpne og tørre sandmarker langs kysten. Den er vanskelig å skille fra høstjordmaur og håret jordmaur, men er noe blankere på hodet og har et mer flattrykt antenneskaft enn disse. Arten er i Norge kun funnet på noen kystnære sandstrender i ytre Oslofjord.

Les hele beskrivelsen

Navn og taksonomi

Vitenskapelig navn:
Lasius meridionalis (Bondroit, 1920)
Synonymer:
Ingen
Bokmål:
kystjordmaur
Nynorsk:
Ingen
Nordsamisk/Davvisámegiella:
Ingen
Vitenskapelig navn ID:
119196
Takson ID:
77443
Gå til Nortaxa for flere detaljer
Av
Arnstein Staverløkk
Utgiver
Norsk institutt for naturforskning
Last ned (1.95 MB, JPG)

Kategori

Fastlands-Norge

Forvekslingsarter

Registrerte funn

Registrerte funn i Norge

0 Funn totalt
0 Funn denne uken
0 Funn i dag

Bilder

Av
Arnstein Staverløkk
Utgiver
Norsk institutt for naturforskning
Last ned (1.28 MB, JPG)
Av
Arnstein Staverløkk
Utgiver
Norsk institutt for naturforskning
Last ned (1001.26 KB, JPG)
Av
Arnstein Staverløkk
Utgiver
Norsk institutt for naturforskning
Last ned (1.95 MB, JPG)
Av
Arnstein Staverløkk
Utgiver
Norsk institutt for naturforskning
Last ned (853.67 KB, JPG)