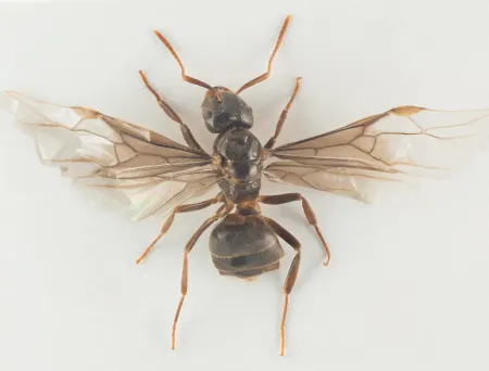
Håret jordmaur finnes både i skogkanter, på åpen tørr mark og av og til også i hus. Den skilles fra nærstående gule jordmaurarter på den tette utstående behåringen på antenneskaft og baklegger. Dette er den vanligste av artene i underslekta Chthonolasisus, men utbredelsen i Norge ser ut til å være begrenset til lavlandet på Sør- og Østlandet.
Navn og taksonomi
- Vitenskapelig navn:
- Lasius umbratus (Nylander, 1846)
- Synonymer:
- Ingen
- Bokmål:
- håret jordmaur
- Nynorsk:
- Ingen
- Nordsamisk/Davvisámegiella:
- Ingen
- Vitenskapelig navn ID:
- 119194
- Takson ID:
- 77441
Artsnavn
Av
Arnstein Staverløkk
Utgiver
Norsk institutt for naturforskning
Kategori
Fastlands-Norge
LC
Livskraftig
Forvekslingsarter
Registrerte funn
Laster funn i kart...
Registrerte funn i Norge
0
Funn totalt
0
Funn denne uken
0
Funn i dag
Bilder
Artsnavn
Av
Arnstein Staverløkk
Utgiver
Norsk institutt for naturforskning
Artsnavn
Av
Arnstein Staverløkk
Utgiver
Norsk institutt for naturforskning
Artsnavn
Av
Arnstein Staverløkk
Utgiver
Norsk institutt for naturforskning
Artsnavn
Av
Arnstein Staverløkk
Utgiver
Norsk institutt for naturforskning
Artsnavn
Av
Arnstein Staverløkk
Utgiver
Norsk institutt for naturforskning
Artsnavn
Av
Arnstein Staverløkk
Utgiver
Norsk institutt for naturforskning
Siden siteres som
Artsdatabanken: Håret jordmaur Lasius umbratus (Nylander, 1846)
Hentet fra https://artsdatabanken.no/arter/takson/77441