Småeitermaur lager nokså store kolonier i bakken på tørr, sandig jord med sparsom vegetasjon. Arten ligner hageeitermaur, men er mindre og mørkere. Arten har en sørøstlig utbredelse og er i Norge kun registrert i Hedmark og Østfold.

Innhold

Av
Arnstein Staverløkk
Utgiver
Norsk institutt for naturforskning
Last ned (3.94 MB, JPG)

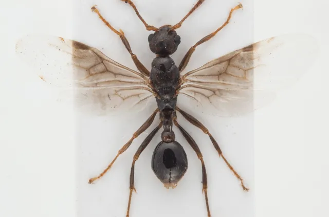
Dronning av småeitermaur Myrmica rugulosa.

Av
Arnstein Staverløkk
Utgiver
Norsk institutt for naturforskning
Last ned (1.94 MB, JPG)

Arbeider av småeitermaur Myrmica rugulosa, fra siden.

Kjennetegn

Småeitermaur Myrmica rugulosa gjenkjennes på at antenneskaftet er kraftig bøyd, men mangler list på baksiden. Arbeidere og dronninger er relativt små og mørke i fargen. Antenneskaftet er enkelt og kraftig bøyd ved basis og svakt utflatet på oversiden der det er mest bøyd. Hodet er lengre enn bredt og har kraftig nettaktig skulptur. Pannelistene er svakt S-formet og fortsetter bakover uten å svinge inn mot antennegropene. Ryggtaggene er forholdsvis lange og peker rett bakover. Petiolens overside er jevnt velvet uten særlig innsvingning i framre del og rett nedadgående i bakre del.

Hannen har kort antenneskaft og svært kort tredje antenneledd som er kun litt lenger enn bredt. Mellomryggens overside (mesoscutum) er helt glatt. Petiolens fremre og bakre del sett fra siden er nesten rette og likesidete og møtes på midten i en avrundet, rett vinkel. Beina er brunlige med relvativt kort og skrått utstående behåring.

Lengde: arbeider, 3,5–4 mm; dronning, 4,5–5 mm; hann, 4,5–5 mm.

Av
Arnstein Staverløkk
Utgiver
Norsk institutt for naturforskning
Last ned (428.51 KB, JPG)

Arbeider av småeitermaur Myrmica rugulosa.

Av
Arnstein Staverløkk
Utgiver
Norsk institutt for naturforskning
Last ned (598.06 KB, JPG)

Dronning av småeitermaur Myrmica rugulosa.

Av
Arnstein Staverløkk
Utgiver
Norsk institutt for naturforskning
Last ned (541.2 KB, JPG)

Hann av småeitermaur Myrmica rugulosa.

Utbredelse

Arten er utbredt fra sørlige deler av Fennoskandia til Frankrike og østover gjennom Sentral- og Øst-Europa til Kaukasus.

I Norge ble arten første gang påvist i 2011 og er hittil kun funnet i Kongsvinger og Eidskog i Hedmark (Ødegaard et al. 2015), samt på Hvaler i Østfold (Ødegaard upubl. 2016). Tidligere rapporter om funn av denne arten i Norge (Siebke 1880, Strand 1903, Olsen 1999) har vist seg å være feil. Arten er sikkert noe oversett, men trolig begrenset utbredt i østlige deler av Sør-Norge.

Levesett

Arten trives best på tørr mark med mye sand og grus i jorda og lite markvegetasjon. De norske funnene av kolonier er gjort på hardpakket morenegrus med spredt engvegetasjon. Det er også funnet svermende dyr i utkanten av et sandtak, men arten etablerer seg ikke i steril sand.

Samfunnene er store til å være eitermaur og består som regel av noen tusen arbeidere og flere dronninger (polygyn). Koloniene kan likevel være vanskelige å finne da de sjelden etablerer seg under steiner, men har anonyme inngangshull i bakken.

Småeitermaur er en svært lite aggressiv art som hovedsakelig lever som nedbryter. Av og til kan grupper av arbeidere også hente honningdugg fra bladlus. Svermingen foregår i august og september.

Forvekslingsarter

Arbeidere og dronninger av småeitermaur Myrmica rugulosa ligner hageeitermaur M. rubra, men er mindre og mørkere i farge. I tillegg er antenneskaftet kraftigere bøyd ved basis og med en liten utflating på oversiden i det bøyde området. Hodet har kraftigere nettaktig skulptur enn hageeitermaur, og pannelista går rett bakover og ikke i en bue rundt antennegropa som hos M. rubra. Arten er ellers svært lik sumpeitermaur M. gallienii som er noe større og hos oss lever i et helt annet habitat. Småeitermaur skiller seg ellers fra sumpeitermaur på at hodet er tydelig smalere enn langt og at petiolen sett ovenfra har rettere sider hos førstnevnte.

 

Av
Frode Ødegaard
Utgiver
Norsk institutt for naturforskning
Last ned (1.88 MB, JPG)
Av
Frode Ødegaard
Utgiver
Norsk institutt for naturforskning
Last ned (2.9 MB, JPG)
Av
Arnstein Staverløkk
Utgiver
Norsk institutt for naturforskning
Last ned (3.55 MB, JPG)
Av
Arnstein Staverløkk
Utgiver
Norsk institutt for naturforskning
Last ned (3.93 MB, JPG)