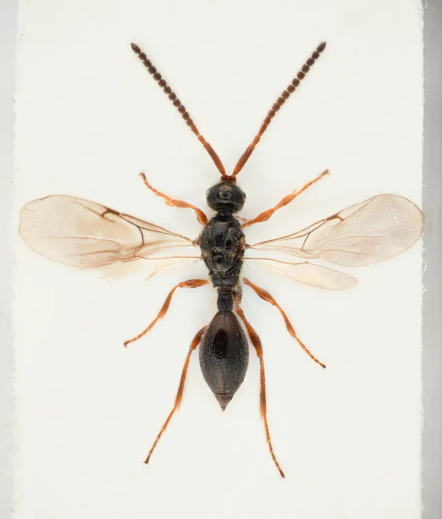
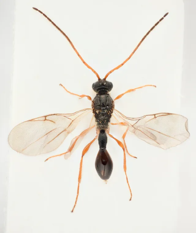
Navn og taksonomi

Vitenskapelig navn:
Belytinae
Synonymer:
Ingen
Bokmål:
Ingen
Nynorsk:
Ingen
Nordsamisk/Davvisámegiella:
Ingen
Vitenskapelig navn ID:
115860
Takson ID:
74953
Gå til Nortaxa for flere detaljer
Av
Arnstein Staverløkk
Utgiver
Norsk institutt for naturforskning

Taksoner i artsgruppen

Registrerte funn

Laster funn i kart...

Registrerte funn i Norge

Funn totalt
Funn denne uken
Funn i dag

Siden siteres som

Artsdatabanken: Belytinae

Hentet fra https://artsdatabanken.no/arter/takson/74953