Navn og taksonomi
- Vitenskapelig navn:
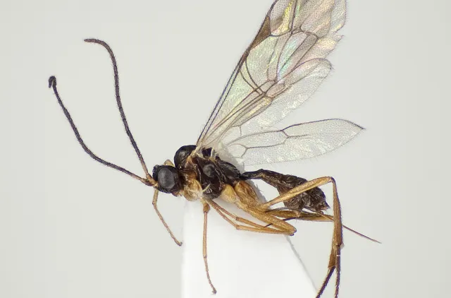
- Aperileptus infuscatus Förster, 1871
- Synonymer:
- Ingen
- Bokmål:
- Ingen
- Nynorsk:
- Ingen
- Nordsamisk/Davvisámegiella:
- Ingen
- Vitenskapelig navn ID:
- 115348
- Takson ID:
- 74441
Species name
Av
Karsten Sund
Utgiver
Naturhistorisk museum, Universitetet i Oslo
Registrerte funn
Laster funn i kart...
Registrerte funn i Norge
0
Funn totalt
0
Funn denne uken
0
Funn i dag
Bilder
Species name
Av
Karsten Sund
Utgiver
Naturhistorisk museum, Universitetet i Oslo
Siden siteres som
Artsdatabanken: Aperileptus infuscatus
Hentet fra https://artsdatabanken.no/arter/takson/74441