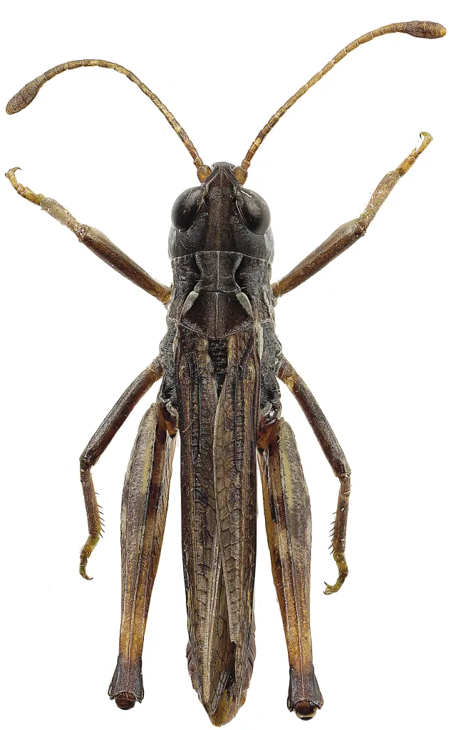
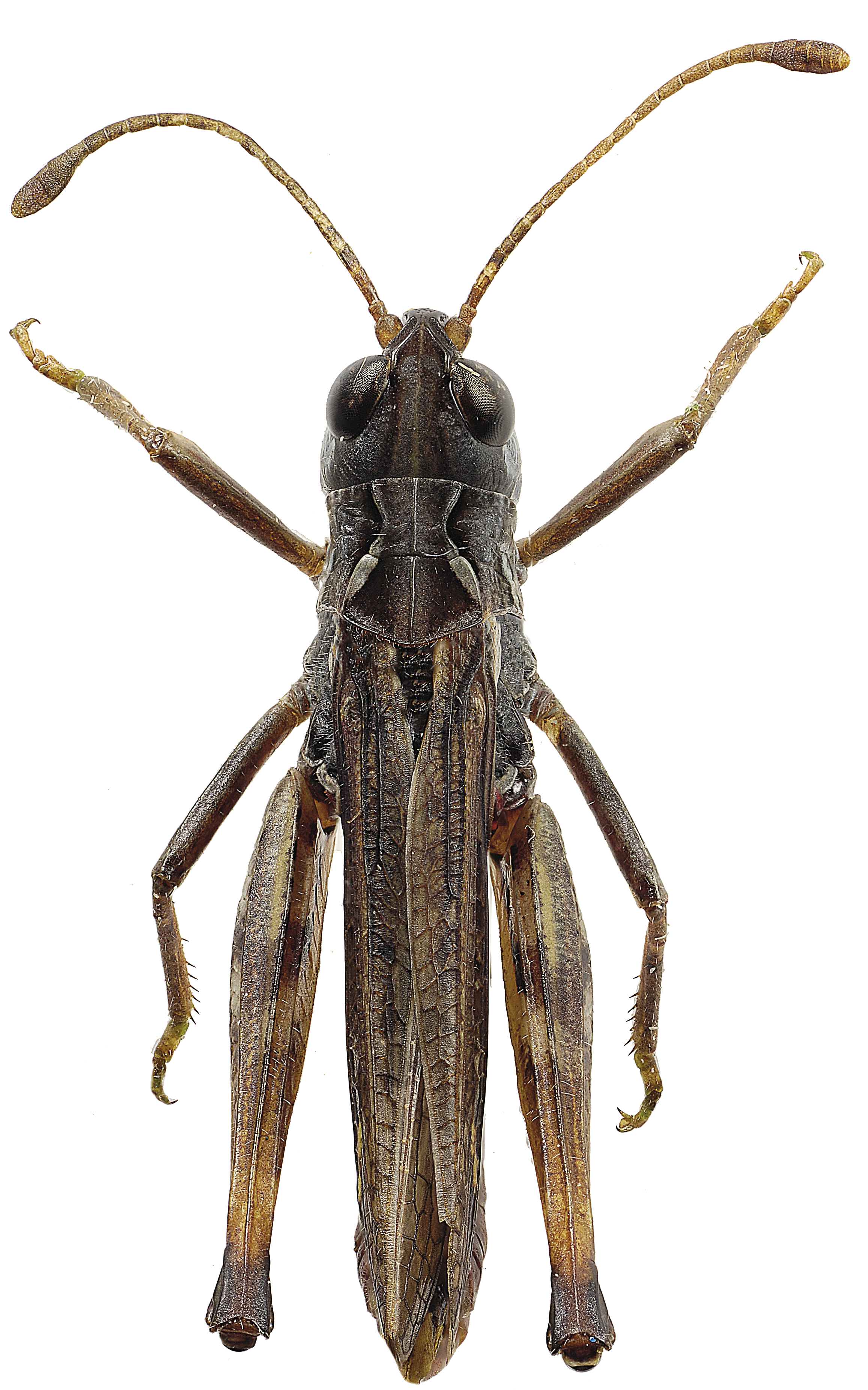
Stor køllegresshoppe er én av to norske gresshoppearter med kølleformede antenner. Arten finnes typisk i middels fuktige gressrike biotoper i skog. Den er vidt utbredt i Sør-Norge.
Navn og taksonomi
- Vitenskapelig navn:
- Gomphocerippus rufus (Linnaeus, 1758)
- Synonymer:
- Ingen
- Bokmål:
- stor køllegresshoppe
- Nynorsk:
- stor køllegrashoppe
- Nordsamisk/Davvisámegiella:
- Ingen
- Vitenskapelig navn ID:
- 112786
- Takson ID:
- 71879
Species name
Av
Hallvard Elven
Lisens
CC BY 4.0 (Navngivelse)
Kategori
Fastlands-Norge
LC
Livskraftig
Registrerte funn
Registrerte funn i Norge
0
Funn totalt
0
Funn denne uken
0
Funn i dag
Bilder
Species name
Av
Göran Liljeberg
Species name
Av
Göran Liljeberg
Species name
Av
Göran Liljeberg
Species name
Av
Lars Ove Hansen
Lisens
CC BY 4.0 (Navngivelse)
Species name
Av
Hallvard Elven
Lisens
CC BY 4.0 (Navngivelse)
Species name
Av
Hallvard Elven
Lisens
CC BY 4.0 (Navngivelse)