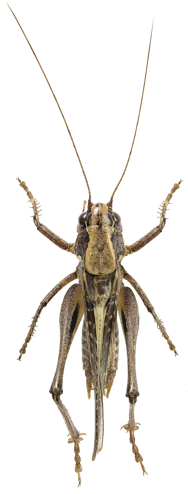
Sandgresshoppe er en mellomstor, relativt langvinget løvgresshoppe. Kroppen er vanligvis gråbrun. Arten finnes i åpne varme strandhabitater og er kjent fra noen få lokaliteter langs Øst- og Sørlandskysten.

Les hele beskrivelsen

Navn og taksonomi

Vitenskapelig navn:
Platycleis albopunctata (Goeze, 1778)
Synonymer:
Ingen
Bokmål:
sandgresshoppe
Nynorsk:
sandgrashoppe
Nordsamisk/Davvisámegiella:
Ingen
Vitenskapelig navn ID:
112730
Takson ID:
71826
Gå til Nortaxa for flere detaljer
The image is missing a description

Kategori

Fastlands-Norge

Registrerte funn i Norge

Funn totalt
Funn denne uken
Funn i dag
Kart over Norge og Svalbard som viser hvor sandgresshoppe Platycleis albopunctata er observert

Levested

Kyst

Samlebetegnelse på en rekke kysttilknyttede fastmarkssystemer.

Habitatinformasjonen er hentet fra Rødlista for arter.


Siden siteres som

Artsdatabanken: Sandgresshoppe Platycleis albopunctata (Goeze, 1778)

Hentet fra https://artsdatabanken.no/arter/takson/71826