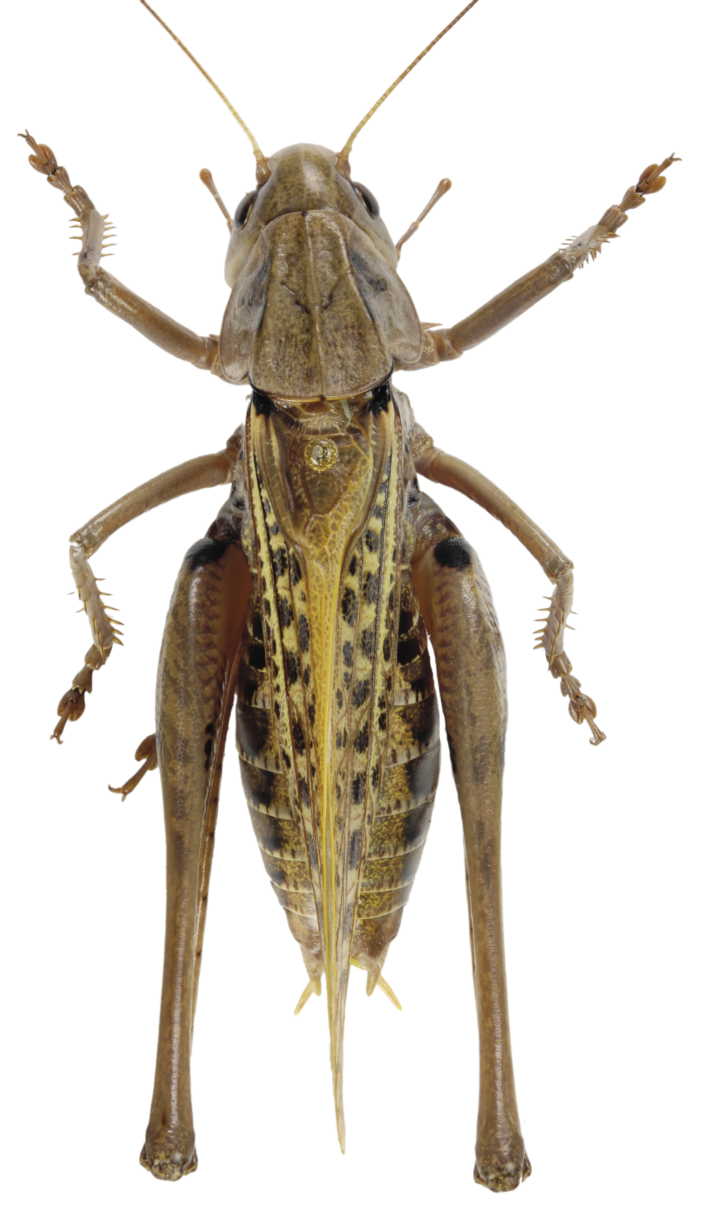
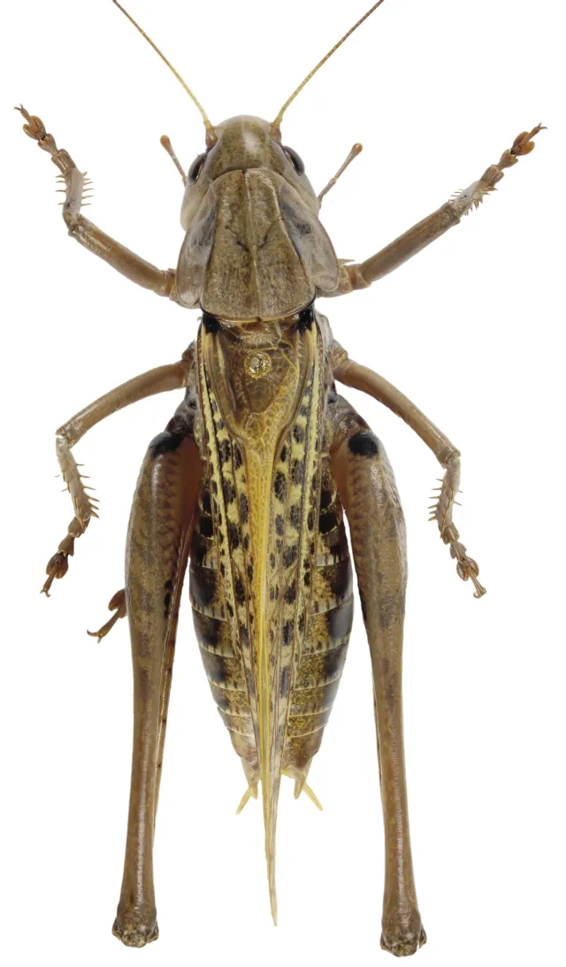
Vortebiter er en av de største norske gresshoppeartene. Kroppen og vingene er grønne, rødaktige, brune eller grå med mørkere flekker. Arten trives i enger og beitemarker. Den er utbredt på Østlandet, Sørlandet og sydligste Vestlandet, men ser ut til å være i tilbakegang.

Les hele beskrivelsen

Navn og taksonomi

Vitenskapelig navn:
Decticus verrucivorus (Linnaeus, 1758)
Synonymer:
Ingen
Bokmål:
vortebiter
Nynorsk:
vortebitar
Nordsamisk/Davvisámegiella:
spártoborri
Vitenskapelig navn ID:
112728
Takson ID:
71824
Gå til Nortaxa for flere detaljer
The image is missing a description

Kategori

Fastlands-Norge

Forvekslingsarter

Registrerte funn i Norge

Funn totalt
Funn denne uken
Funn i dag
Kart over Norge og Svalbard som viser hvor vortebiter Decticus verrucivorus er observert

Levested

Semi-naturlig mark

Samlebetegnelse på åpne eller spredt tresatte fastmarkssystemer som er formet og betinget av tradisjonell hevd.

Sterkt endret mark

Samlebetegnelse på fastmarksområder med ny eller sterkt endret overflate, hvor mennesker har fjernet jorda eller forandret størsteparten av den opprinnelige landoverflata.

Habitatinformasjonen er hentet fra Rødlista for arter.


Siden siteres som

Artsdatabanken: Vortebiter Decticus verrucivorus (Linnaeus, 1758)

Hentet fra https://artsdatabanken.no/arter/takson/71824