Les hele beskrivelsen

Navn og taksonomi

Vitenskapelig navn:
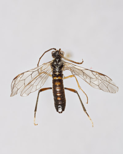
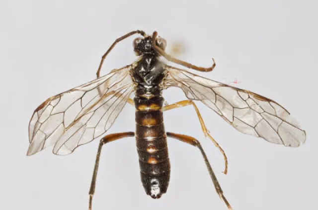
Tenthredopsis auriculata (Thomson, 1870)
Synonymer:
Ingen
Bokmål:
Ingen
Nynorsk:
Ingen
Nordsamisk/Davvisámegiella:
Ingen
Vitenskapelig navn ID:
112635
Takson ID:
71733
Gå til Nortaxa for flere detaljer
Bildet mangler beskrivelse

Kategori

Fastlands-Norge

Registrerte funn i Norge

Funn totalt
Funn denne uken
Funn i dag
Kart over Norge og Svalbard som viser hvor Tenthredopsis auriculata er observert

Levested

Semi-naturlig mark

Samlebetegnelse på åpne eller spredt tresatte fastmarkssystemer som er formet og betinget av tradisjonell hevd.

Våtmark

Samlebetegnelse på myr, kilder og andre økosystmer på mer eller mindre vannmettet mark.

Habitatinformasjonen er hentet fra Rødlista for arter.


Siden siteres som

Artsdatabanken: Tenthredopsis auriculata (Thomson, 1870)

Hentet fra https://artsdatabanken.no/arter/takson/71733