Innhold

Av
Kim Abel
Utgiver
Biofokus

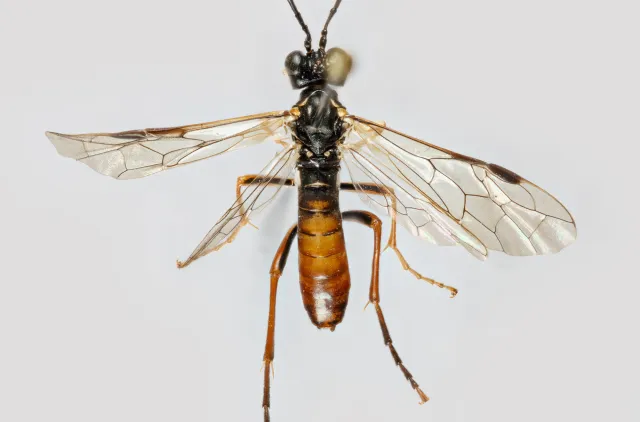
Tenthredo colon hunn. Skoklefall, Nesodden, Akershus, Norge. 11.06.2008. Leg. Ole J. Lønnve.

Beskrivelse

Hunnen: Svart med rød farge på oversiden av bakkroppen. Den røde fargen dekker normalt oversiden av 5. til 7. segment, men dette varierer en del. På hodet er munndeler hvite. Antennenes 6. og 7. ledd er helt hvite. Ledd 8 som regel hvitt. Basis av 9. segment kan også hos enkelte individer være hvitt. Benenes lår og legger er rødlige med varierende grad av svart. Baklårene er normalt ganske svarte. Hoftene er svarte. Bakerst på brystet samt på 1. bakkroppsegment finnes en hvit sideflekk. Vingene er klare og vingemerket er ensfarget sort. Denne karakteren er et viktig kjennetegn, da T. colon kan til en viss grad forveksles med T. livida. Vingemerket til T. livida har lys basis. Bakkroppen er mer eller mindre rød mot tuppen, men de to siste segmentene er som regel svarte. Arten varierer noe. Hos enkelte individer er bakkroppen i ekstreme tilfeller helt sort. Hannen ligner hunnen, men bakkroppen er mer rød og forbena er gulhvite med en svart linje på baksiden av lårene. Hannen er dessuten mindre enn hunnen. 10−12 mm.

Note: En svært lik art, T. semicolon, Mol, 2013 er nylig skilt ut (Taeger 2013). Denne forekommer i sørlige Norge, men kunnskapen rundt denne er foreløpig liten. Denne skilles fra T. colon på de mer røde lårene og annerledes skulpturering på brystets overside som gjør at den fortoner seg mer skinnende (se denne).

Av
Kim Abel
Utgiver
Biofokus

Tenthredo colon hann. Grosetmarkje, Tinn, Telemark, Norge. 14.07.2011. Leg. Ole J. Lønnve.

Biologi

Arten forekommer i flere typer habitater. Den er typisk forekommende langs jordekanter, i frisk skog, på hogstflater og i enger i gjengroingsfase. Arten oppsøker til en viss grad blomster, spesielt skjermplanter (Apiaceae). De voksne tar også andre insekter. Arten forekommer som regel sammen med andre store Tenthredo-arter, særlig T. livida og arter i T. mesomelas-gruppen.

Artens vertsplantevalg er utilstrekkelig klarlagt. Den er oppgitt å gå på flere karplanter, deriblant geitrams (Chamerion angustifolium), buskmure (Dasiphora fruticosa), storkenebbslekten (Geranium) og mureslekten (Potentilla) (Taeger et al. 1998).

I Norge er flygetiden normalt fra siste halvdel av juni til ut i juli. Dette avhenger derimot av høyde over havet. I fjellet kan man således finne arten tallrik i slutten av juli og tidlig august. Enkelte funn er også gjort i begynnelsen av august i lavlandet, men dette er ikke vanlig.

Norsk utbredelse

Arten er vidt utbredt i mesteparten av landet. Den går også opp i bjørkebeltet. Arten er meget vanlig og ofte tallrik på lokalitetene.

Global utbredelse

Store deler av Europa og østover i Sibir helt til Kamtsjatka.

Referanser

Om denne siden

Publisert: 7. oktober 2014
Forfattere
Ole Jørgen Lønnve
Erik Heibo
Andreas Taeger
Utgiver
Biofokus
Sweco
Senckenberg Deutsches Entomologisches Institut Müncheberg

Siden siteres som

Ole Jørgen Lønnve, Erik Heibo, Andreas Taeger: Tenthredo colon Klug, 1817

Hentet fra https://artsdatabanken.no/arter/takson/71702/beskrivelse