Les hele beskrivelsen

Navn og taksonomi

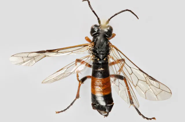
Vitenskapelig navn:
Tenthredo atra Linnaeus, 1758
Synonymer:
Ingen
Bokmål:
Ingen
Nynorsk:
Ingen
Nordsamisk/Davvisámegiella:
Ingen
Vitenskapelig navn ID:
112599
Takson ID:
71697
Gå til Nortaxa for flere detaljer
The image is missing a description
Av
Kim Abel
Utgiver
Biofokus

Kategori

Fastlands-Norge

Registrerte funn i Norge

Funn totalt
Funn denne uken
Funn i dag
Kart over Norge og Svalbard som viser hvor Tenthredo atra er observert

Levested

Skog

Skogarealer, med unntak av treplantasjer, semi-naturlig eng som er tresatt og skog som påvirkes av flom.

Semi-naturlig mark

Samlebetegnelse på åpne eller spredt tresatte fastmarkssystemer som er formet og betinget av tradisjonell hevd.

Habitatinformasjonen er hentet fra Rødlista for arter.


Siden siteres som

Artsdatabanken: Tenthredo atra Linnaeus, 1758

Hentet fra https://artsdatabanken.no/arter/takson/71697