Innhold

Av
Kim Abel
Utgiver
Biofokus

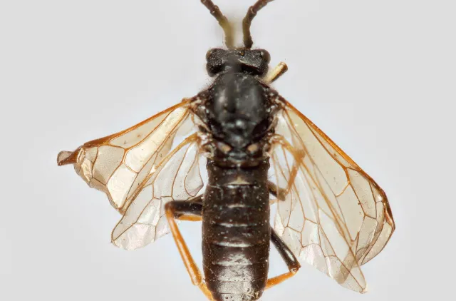
Tenthredo arctica hunn. Joatkajavri, Alta, Finnmark, Norge. 01.07.1924. Leg. Andreas Strand.

Beskrivelse

Tenthredo arctica hører til en gruppe med mange svært like arter (Tenthredo arcuata-komplekset). Fra Norge er fire arter i denne gruppen kjent (T. arcuata, T. notha, T. brevicornis og T. arctica). Disse er til dels vanskelige å skille fra hverandre, spesielt hannene. For korrekt identifisering henvises til karakterene gitt i nøkkelen.

T. arctica avviker en del fra de andre artene, og den finnes dessuten kun i alpine strøk av Troms og Finnmark og er sjelden. T. arctica-hunnen kan skilles på følgende karakterer: Antennene er tykkere enn hos de andre artene. De mellomste antennesegmentene er nærmest «trekantet», slik at antennen sett fra siden får et sagformet utseende. 1. antenneledd er svart. Bakkroppen fra 3. eller 4. segment, hvite eller gule ofte avbrutt med et mørkt tverrbånd langs segmentenes bakrand. De siste bakkroppsegmentene er ofte helt svarte. Vingenes årer og vingemerket er rødgule. Hannen: Ligner hunnen, men er mørkere.

Denne arten er dessuten litt større enn de andre artene, og bør ikke kunne forveksles med disse. Lengde: 9 −11 mm.

Av
Kim Abel
Utgiver
Biofokus

Tenthredo arctica hann. Joatkajavri, Alta, Finnmark, Norge. 01.07.1924. Leg. Andreas Strand.

Biologi

Hos oss forekommer arten kun i høyfjellet i Nord-Norge. Lite kunnskap foreligger om denne artens biologi.

Vertsplanten er uklar, men setermjelt, Astragalus alpinus, er en sannsynlig kandidat.

Flygetiden er sannsynligvis i juli. Trolig også i slutten av juni, avhengig av år og snøsmelting.

Norsk utbredelse

Arten er kjent med noen få spredte funn fra Troms og Finnmark. De fleste funnene er av eldre dato, men arten ble nylig «gjennfunnet» i Troms og midt på Varangerhalvøya i Finnmark. Muligens kan arten også finnes i Nordland. Arten er svært sjelden.

Global utbredelse

Dette er en nordlig art. Den er kjent fra nordlige Sverige (Malaise 1931) og i nordlige strøk av Finland (Liston 1995). Utbredelsen omfatter tundraområder i Sibir og Nord-Amerika.

Referanser

Om denne siden

Publisert: 7. oktober 2014
Forfattere
Ole Jørgen Lønnve
Erik Heibo
Andreas Taeger
Utgiver
Biofokus
Sweco
Senckenberg Deutsches Entomologisches Institut Müncheberg

Siden siteres som

Ole Jørgen Lønnve, Erik Heibo, Andreas Taeger: Tenthredo arctica (Thomson, 1870)

Hentet fra https://artsdatabanken.no/arter/takson/71695/beskrivelse