Navn og taksonomi

Vitenskapelig navn:
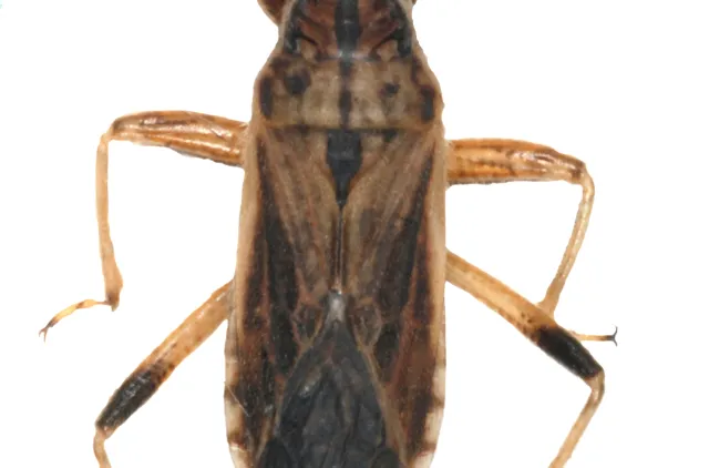
Himacerus major (A. Costa, 1842)
Synonymer:
Ingen
Bokmål:
Ingen
Nynorsk:
Ingen
Nordsamisk/Davvisámegiella:
Ingen
Vitenskapelig navn ID:
110135
Takson ID:
69304
Gå til Nortaxa for flere detaljer
Bildet mangler beskrivelse
Av
Oddvar Hanssen
Utgiver
Norsk institutt for naturforskning

Kategori

Fastlands-Norge

Registrerte funn i Norge

Funn totalt
Funn denne uken
Funn i dag
Kart over Norge og Svalbard som viser hvor Himacerus major er observert

Levested

Kyst

Samlebetegnelse på en rekke kysttilknyttede fastmarkssystemer.

Habitatinformasjonen er hentet fra Rødlista for arter.


Siden siteres som

Artsdatabanken: Himacerus major (A. Costa, 1842)

Hentet fra https://artsdatabanken.no/arter/takson/69304