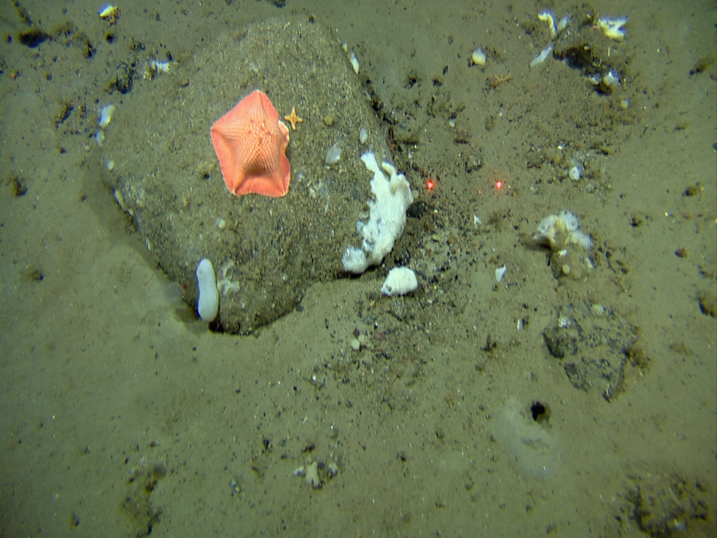
En sjøstjerne med stor skive og korte armer. Oversiden med rødoransje skjell med hvite kanter. Undersiden er hvit, og har lange pigger.
Navn og taksonomi
- Vitenskapelig navn:
- Tremaster mirabilis Verrill, 1880
- Synonymer:
- Ingen
- Bokmål:
- Ingen
- Nynorsk:
- Ingen
- Nordsamisk/Davvisámegiella:
- Ingen
- Vitenskapelig navn ID:
- 3363
- Takson ID:
- 3362
Species name
Av
Espen Rekdal
Utgiver
Espen Rekdal Photography
Lisens
CC BY 4.0 (Navngivelse)
Kategori
Fastlands-Norge
LC
Livskraftig
Registrerte funn
Registrerte funn i Norge
0
Funn totalt
0
Funn denne uken
0
Funn i dag
Bilder
Species name
Utgiver
MAREANO / Havforskningsinstituttet
Lisens
CC BY 4.0 (Navngivelse)
Species name
Utgiver
MAREANO / Havforskningsinstituttet
Lisens
CC BY 4.0 (Navngivelse)
Species name
Av
Espen Rekdal
Utgiver
Espen Rekdal Photography
Lisens
CC BY 4.0 (Navngivelse)
Species name
Av
Espen Rekdal
Utgiver
Espen Rekdal Photography
Lisens
CC BY 4.0 (Navngivelse)
Species name
Av
MAREANO / Havforskningsinstituttet
Species name
Av
MAREANO / Havforskningsinstituttet