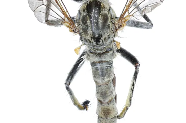
Svarthårrovflue Tolmerus atricapillus er en middels stor rovflue og er en av våre vanligste rovfluer. Arten er mørk og gråaktig. Svarthårrovflue skilles enkelt fra andre norske arter ved fargetegninger på beina. Den har godt definerte oransje fargetegninger på lårene, samt på leggene og føttene. Svarthårrovflue finnes i en rekke forskjellige habitater, gjerne åpne habitater med en del tørr jord og god solinnstråling. Busk- og trevegetasjon og ujevn bakkestruktur som gir skjul og dekning er vanlige habitater. Arten lever hovedsakelig som predator på andre tovinger. Svarthårrovflue har sin hovedutbredelse i Sørøst-Norge, men er også funnet på Vestlandet og nord til nordlige deler av Oppland og Hedmark.

Les hele beskrivelsen

Navn og taksonomi

Vitenskapelig navn:
Tolmerus atricapillus (Fallén, 1814)
Synonymer:
Asilus atricapillus Fallén, 1814, Machimus atricapillus
Bokmål:
svarthårrovflue
Nynorsk:
svarthårrovfluge
Nordsamisk/Davvisámegiella:
Ingen
Vitenskapelig navn ID:
21342
Takson ID:
18989
Gå til Nortaxa for flere detaljer
Bildet mangler beskrivelse

Kategori

Fastlands-Norge

Registrerte funn i Norge

Funn totalt
Funn denne uken
Funn i dag
Kart over Norge og Svalbard som viser hvor svarthårrovflue Tolmerus atricapillus er observert

Levested

Semi-naturlig mark

Samlebetegnelse på åpne eller spredt tresatte fastmarkssystemer som er formet og betinget av tradisjonell hevd.

Sterkt endret mark

Samlebetegnelse på fastmarksområder med ny eller sterkt endret overflate, hvor mennesker har fjernet jorda eller forandret størsteparten av den opprinnelige landoverflata.

Skog

Skogarealer, med unntak av treplantasjer, semi-naturlig eng som er tresatt og skog som påvirkes av flom.

Habitatinformasjonen er hentet fra Rødlista for arter.


Siden siteres som

Artsdatabanken: Svarthårrovflue Tolmerus atricapillus (Fallén, 1814)

Hentet fra https://artsdatabanken.no/arter/takson/18989