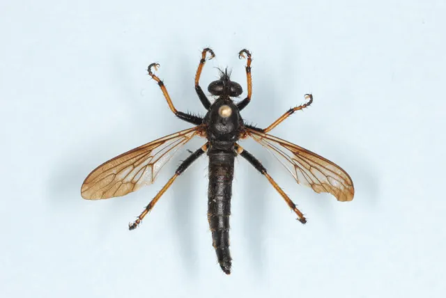
Slekten Pamponerus er en liten slekt og består av kun tre arter i Europa hvorav én art finnes i Norge, tysk rovflue Pamponerus germanicus. Slekten er på verdensbasis begrenset til Palearktis og Midtøsten.
Navn og taksonomi
- Vitenskapelig navn:
- Pamponerus
- Synonymer:
- Ingen
- Bokmål:
- sanddynerovfluer
- Nynorsk:
- Ingen
- Nordsamisk/Davvisámegiella:
- Ingen
- Vitenskapelig navn ID:
- 21332
- Takson ID:
- 18979
Taksoner i artsgruppen
Registrerte funn
Laster funn i kart...
Registrerte funn i Norge
0
Funn totalt
0
Funn denne uken
0
Funn i dag
Bilder av arter i artsgruppen
Artsnavn
Av
Oddvar Hanssen
Utgiver
Norsk institutt for naturforskning
Lisens
CC BY 4.0 (Navngivelse)
Siden siteres som
Artsdatabanken: Sanddynerovfluer Pamponerus
Hentet fra https://artsdatabanken.no/arter/takson/18979