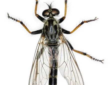
Østlig skogrovflue Neoitamus cothurnatus er ikke kjent fra Norge. Det er imidlertid svært sannsynlig at denne arten vil dukke opp i vår fauna. Dette er en lite kjent art som er meget lik svartfotskogrovflue Neoitamus cyanurus. Arten skilles fra svartfotskogrovflue ved detaljer på beina.

Les hele beskrivelsen

Navn og taksonomi

Vitenskapelig navn:
Neoitamus cothurnatus (Meigen, 1820)
Synonymer:
Asilus cothurnatus Meigen, 1820
Bokmål:
Ingen
Nynorsk:
Ingen
Nordsamisk/Davvisámegiella:
Ingen
Vitenskapelig navn ID:
21329
Takson ID:
18976
Gå til Nortaxa for flere detaljer

Forvekslingsarter

Registrerte funn i Norge

Funn totalt
Funn denne uken
Funn i dag
Kart over Norge og Svalbard som viser hvor Neoitamus cothurnatus er observert

Siden siteres som

Artsdatabanken: Neoitamus cothurnatus (Meigen, 1820)

Hentet fra https://artsdatabanken.no/arter/takson/18976