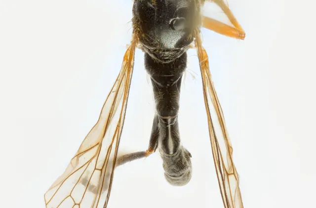
Rødbeint engrovflue Dioctria rufipes er en av våre vanligste rovfluer. Den har karakteristiske røde lår (femur) og legger (tibia) på fremre og midtre bein. Den lever som andre engrovfluer hovedsakelig av andre fluer og veps. Den jakter byttedyr fra både bakken og oppe i vegetasjonen, til og med fra løvverket høyt opp i trærne.
Navn og taksonomi
- Vitenskapelig navn:
- Dioctria rufipes (De Geer, 1776)
- Synonymer:
- <i>Asilus rufipes</i> De Geer, 1776
- Bokmål:
- rødbeint engrovflue
- Nynorsk:
- raudbeint engrovfluge
- Nordsamisk/Davvisámegiella:
- Ingen
- Vitenskapelig navn ID:
- 21300
- Takson ID:
- 18947
 
        Species name
            
          Av
    
            
                Kim Abel
                
    Utgiver
    
            
                Biofokus
                
    Lisens
    
                CC BY 4.0 (Navngivelse)
        Kategori
Fastlands-Norge
                    LC
                  
                  
                    Livskraftig
                  
                Forvekslingsarter
Registrerte funn
 
    
  Registrerte funn i Norge
        0
        Funn totalt
      
      
        0
        Funn denne uken
      
      
        0
        Funn i dag
      
    Bilder
 
        Species name
            
          Av
    
            
                Kim Abel
                
    Utgiver
    
            
                Biofokus
                
    Lisens
    
                CC BY 4.0 (Navngivelse)
         
        Species name
            
          Av
    
            
                Kim Abel
                
    Utgiver
    
            
                Biofokus
                
    Lisens
    
                CC BY 4.0 (Navngivelse)
         
        Species name
            
          Av
    
            
                Kim Abel
                
    Utgiver
    
            
                Biofokus
                
    Lisens
    
                CC BY 4.0 (Navngivelse)
         
        Species name
            
          Av
    
            
                Kim Abel
                
    Utgiver
    
            
                Biofokus
                
    Lisens
    
                CC BY 4.0 (Navngivelse)
         
         
        