Navn og taksonomi

Vitenskapelig navn:
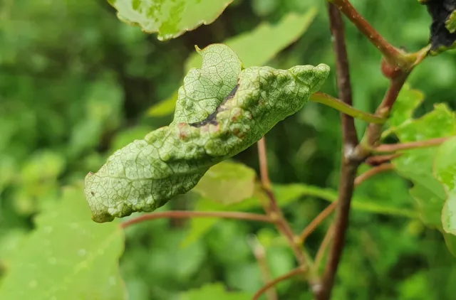
Contarinia tremulae Kieffer, 1909
Synonymer:
Ingen
Bokmål:
Ingen
Nynorsk:
Ingen
Nordsamisk/Davvisámegiella:
Ingen
Vitenskapelig navn ID:
19553
Takson ID:
17200
Gå til Nortaxa for flere detaljer
Bildet mangler beskrivelse
Av
Hallvard Elven
Utgiver
Naturhistorisk museum, Universitetet i Oslo

Registrerte funn i Norge

Funn totalt
Funn denne uken
Funn i dag
Kart over Norge og Svalbard som viser hvor Contarinia tremulae er observert

Siden siteres som

Artsdatabanken: Contarinia tremulae Kieffer, 1909

Hentet fra https://artsdatabanken.no/arter/takson/17200