Sumpeitermaur Myrmica gallienii er den mest fuktighetstolerante av alle de nordiske maurartene. Den kan etablere bol helt i vannkanten og tåler å bli oversvømt i perioder. I Norge er arten kun påvist i et våtmarksområde i Vestfold.

Innhold

The image is missing a description
Av
Arnstein Staverløkk
Utgiver
Norsk institutt for naturforskning

Dronning av sumpeitermaur Myrmica gallienii.

The image is missing a description
Av
Arnstein Staverløkk
Utgiver
Norsk institutt for naturforskning

Arbeider av sumpeitermaur Myrmica gallienii.

Kjennetegn

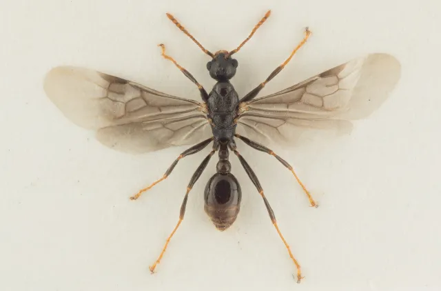
Sumpeitermaur Myrmica gallienii gjenkjennes på at antenneskaftet er kraftig bøyd, men mangler list på baksiden. Arbeidere og dronninger er relativt store. Antenneskaftet er enkelt og kraftig bøyd ved basis og svakt utflatet på oversiden der det er mest bøyd. Hodet er knapt lengre enn bredt og har relativt fin nettaktig skulptur. Pannelistene er svakt S-formet og fortsetter bakover uten å svinge inn mot antennegropene. Ryggtaggene er forholdsvis lange og peker rett bakover. Petiolens øvre kant sett fra siden er jevnt velvet uten særlig innsvingning i framre del og rett nedadgående i bakre del. Petiolen og postpetiolen sett ovenfra er relativt brede med konvekse sider.

Hannen har kort antenneskaft som ikke er lengre enn de tre første leddene i antennestrengen. Mellomryggens overside (mesoscutum) er glatt. Petiolens fremre og bakre del sett fra siden er nesten rette og likesidete og møtes på midten i en avrundet, rett vinkel. Beina er brunlige med relvativt kort og skrått utstående behåring.

Lengde: arbeider, 4–5,5 mm; dronning, 5,5–6 mm; hann, 5,5–6 mm.

The image is missing a description
Av
Arnstein Staverløkk
Utgiver
Norsk institutt for naturforskning

Arbeider av sumpeitermaur Myrmica gallienii, fra siden.

The image is missing a description
Av
Arnstein Staverløkk
Utgiver
Norsk institutt for naturforskning

Hann av sumpeitermaur Myrmica gallienii.

The image is missing a description
Av
Arnstein Staverløkk
Utgiver
Norsk institutt for naturforskning

Arbeider av sumpeitermaur Myrmica gallienii, framkropp.

Levesett

Sumpeitermaur er svært fuktighetselskende og tåler oversvømmelse av bolet. Maur som oversvømmes flyter omkring på vannflata og hekter seg til hverandre og til vegetasjonen. Arten lever på ulike typer sumpmark og strender, både i innlandet og langs kysten. Fra utlandet er den også oppgitt fra sandmark nær vann. Norske funn er imidlertid gjort utelukkende i ferskvannssump med flytematter av torvmoser (Sphagnum spp).

Samfunnene dannes gjerne i torvmosetuer. Utpå sommeren finnes gjerne en haug av mosepartikler på toppen av tua. Samfunnene er relativt store består som regel av noen tusen arbeidere og flere dronninger (polygyn).

Arten er nokså aggressiv og klatrer gjerne opp i vegetasjonen der de henter honningdugg fra bladlus eller nektar fra blomster. Svermingen foregår fra slutten av juli til midten av august.

The image is missing a description
Av
Frode Ødegaard
Utgiver
Norsk institutt for naturforskning

Oversiktsbilde av den eneste kjente norske lokaliteten for sumpeitermaur Myrmica gallienii. Rønnebergdammen, Hof i Vestfold.

The image is missing a description
Av
Frode Ødegaard
Utgiver
Norsk institutt for naturforskning

Torvmosetue med samfunn av sumpeitermaur Myrmica gallienii. Rønnebergdammen, Hof i Vestfold.

The image is missing a description
Av
Frode Ødegaard
Utgiver
Norsk institutt for naturforskning

Samfunn av sumpeitermaur Myrmica gallienii. Rønnebergdammen, Hof i Vestfold.

The image is missing a description
Av
Frode Ødegaard
Utgiver
Norsk institutt for naturforskning

Sumpeitermaur Myrmica gallienii i vann. Rønnebergdammen, Hof i Vestfold.

Forvekslingsarter

Arbeidere og dronninger av sumpeitermaur ligner en del på hageeitermaur M. rubra og skogeitermaur M. ruginodis, som begge være svært tallrike på fuktig mark. Sumpeitermaur har imidlertid mer rette pannefurer som ikke svinger rundt antennegropene. Den har videre mer ruglete og fin skulptur på framkroppen enn begge disse, og tydelig lengre ryggtagger enn hageeitermaur. Antenneskaftet er kraftig bøyd uten lister ved basis, slik som hos småeitermaur M. rugulosa. Antenneskaftbasis er imidlertid helt jevnt buet hos sumpeitermaur, mens småeitermaur har en svak vinkel midt på denne buen. Sumpeitermaur skilles ellers fra småeitermaur på at hodet er bredere, nesten like bredt som langt, og at kroppen er litt større. Petiolen sett fra siden er litt mer høyreist og avflatet på toppen enn hos småeitermaur. Petiolen sett ovenfra har svakt konvekse sider, mens småeitermaur har rette sider. Postpetiolen er litt bredere sett ovenfra enn hos småeitermaur. De to artene har verken overlappende utbredelse eller habitat i Norge. Arten kan også minne om ribbeeitermaur M. sulcinodis, men denne har mørkere hode og er kraftigere og mer regelmessig skulpturert på framkroppen. Hanner av sumpeitermaur og småeitermaur er svært like, men førstnevnte er noe større og med lengre antenner.

Om denne siden

Publisert: 15. januar 2017
Forfattere
Frode Ødegaard
Arnstein Staverløkk
Jan Ove Gjershaug
Utgiver
Norsk institutt for naturforskning