Slekten småstikkemaur Hypoponera er en stor og svært vanskelig taksonomisk gruppe med mer enn 150 beskrevne arter. Gruppen dominerer i tropiske strøk, men flere arter er typiske kosmopolitter som etablerer seg i synantrope miljøer som følge av at jord og planter transporteres på tvers av landegrenser. Hypoponera opacior er en amerikansk art som av og til blir funnet i menneskemiljøer.

Innhold

Av
Arnstein Staverløkk
Utgiver
Norsk institutt for naturforskning

Dronning av Hypoponera opacior.

Hypoponera opacior kan forveksles med kompostmaur H. punctatissima. Mellomkroppens midtre sideplate (mesopleuron) er imidlertid matt av fin punktur og mikroskulptur, mens dette området hos kompostmaur er helt blankt og glatt. H. opacior er i tillegg noe mørkere i fargen og har et bredere hode. Arten kan også være vanskelig å skille fra den vestpalearktiske arten H. eduardi, men H. opacior har et tydelig bredere hode enn denne.

H. opacior er utbredt på det amerikanske kontinent fra USA til Argentina inkludert flere karibiske øyer. Den er kjent fra både naturlig tropisk skog og fra synantrope habitater. I Norge er arten funnet en gang med etablerte kolonier i et tropehus i Gjerstad i Aust-Agder. Den er innført med planter fra Costa Rica.

Av
Arnstein Staverløkk
Utgiver
Norsk institutt for naturforskning

Arbeider av Hypoponera opacior.

Av
Arnstein Staverløkk
Utgiver
Norsk institutt for naturforskning

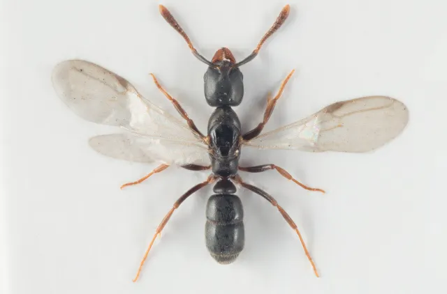
Hann av Hypoponera opacior.

Om denne siden

Publisert: 10. februar 2016
Forfattere
Frode Ødegaard
Arnstein Staverløkk
Jan Ove Gjershaug
Utgiver
Norsk institutt for naturforskning

Siden siteres som

Frode Ødegaard, Arnstein Staverløkk, Jan Ove Gjershaug: Hypoponera opacior (Forel, 1893)

Hentet fra https://artsdatabanken.no/arter/takson/113494/beskrivelse