Innhold

Rhogogaster polaris hunn. Skiferbrukhammaren, Saltdal, Nordland, Norway. 12.05-31.08.2004. Leg. Erik Heibo.

Beskrivelse

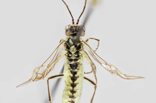
Hunnen: Grønn i live med svarte partier på hode, overside av bryst og bakkropp. Oversiden av brystet og scutellum er skinnende med fin punktur. Arten ligner lysere former av R. viridis og kan også minne sterkt om R. chlorosoma i fargene. Hunnens sag er som sagen til R. dryas. Hos døde og tørre individer falmer grønnfargen, og blir mer gulaktig. Hannen og hunnen ligner hverandre, men hannen er mindre enn hunnen. 6,5−10 mm.

Note: Denne arten er tidligere antatt å være R. californica, som forekommer i Nord-Amerika. Derimot indikerer forskjeller i strekkoding mellom R. californica og R. polaris at dette i stedet kan dreie seg om to ulike arter. Videre undersøkelser er nødvendig for å få klarhet i om dette er to ulike arter, eller om de er å betrakte som samme art. Inntil dette blir klarlagt bedre, betraktes de derfor som to arter. Lindqvist (1964) sin beskrivelse av R. polaris er basert på materialet fra Målselv i Troms, 1951.

Rhogogaster polaris hann. Skiferbrukhammaren, Saltdal, Nordland, Norge. 12.05-31.08.2004. Leg. Erik Heibo.

Biologi

Artens økologi er dårlig kjent. Den er funnet i bjørkebeltet og høyereliggende skog i de nordlige delene av Fennoskandinavia. Sannsynligvis oppsøker de voksne insektene blomster, og som andre Rhogogaster-arter tar de trolig andre insekter.

Vertsplanten er ukjent. Muligens bjørk, osp og Salix-arter.

Flygetiden er sannsynligvis fra slutten av mai til godt ut i juli.

Norsk utbredelse

R. polaris er kun kjent fra Nord-Norge. Dens likhet med andre Rhogogaster-arter gjør at det sannsynligvis også finnes andre funn av denne arten i samlinger, men da feilbestemt. Dens utbredelse er derfor dårlig kjent, men det kan godt tenkes at den også finnes i fjellområder lenger sør i Norge. Sannsynligvis er denne arten forholdsvis uvanlig.

Global utbredelse

Artens globale utbredelse er dårlig kjent utenfor Fennoskandinavia. I Sverige er den kjent lenger sør enn i Norge, hvor den er funnet i de midtre delene av landet.

Referanser

Om denne siden

Publisert: 7. oktober 2014
Forfattere
Ole Jørgen Lønnve
Erik Heibo
Andreas Taeger
Utgiver
Biofokus
Sweco
Senckenberg Deutsches Entomologisches Institut Müncheberg

Siden siteres som

Ole Jørgen Lønnve, Erik Heibo, Andreas Taeger: Rhogogaster polaris Lindqvist, 1964

Hentet fra https://artsdatabanken.no/arter/takson/103758/beskrivelse