Navn og taksonomi
- Vitenskapelig navn:
- Cantharidae Imhoff, 1856 (1815)
- Synonymer:
- Ingen
- Bokmål:
- bløtvinger
- Nynorsk:
- blautvenger
- Nordsamisk/Davvisámegiella:
- čolgagoppát
- Vitenskapelig navn ID:
- 10146
- Takson ID:
- 10037
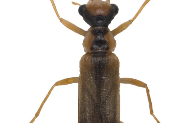
Artsnavn
Av
Hallvard Elven
Utgiver
Naturhistorisk museum, Universitetet i Oslo
Lisens
CC BY 3.0 (Navngivelse)
Taksoner i artsgruppen
Registrerte funn
Laster funn i kart...
Registrerte funn i Norge
0
Funn totalt
0
Funn denne uken
0
Funn i dag
Bilder av arter i artsgruppen
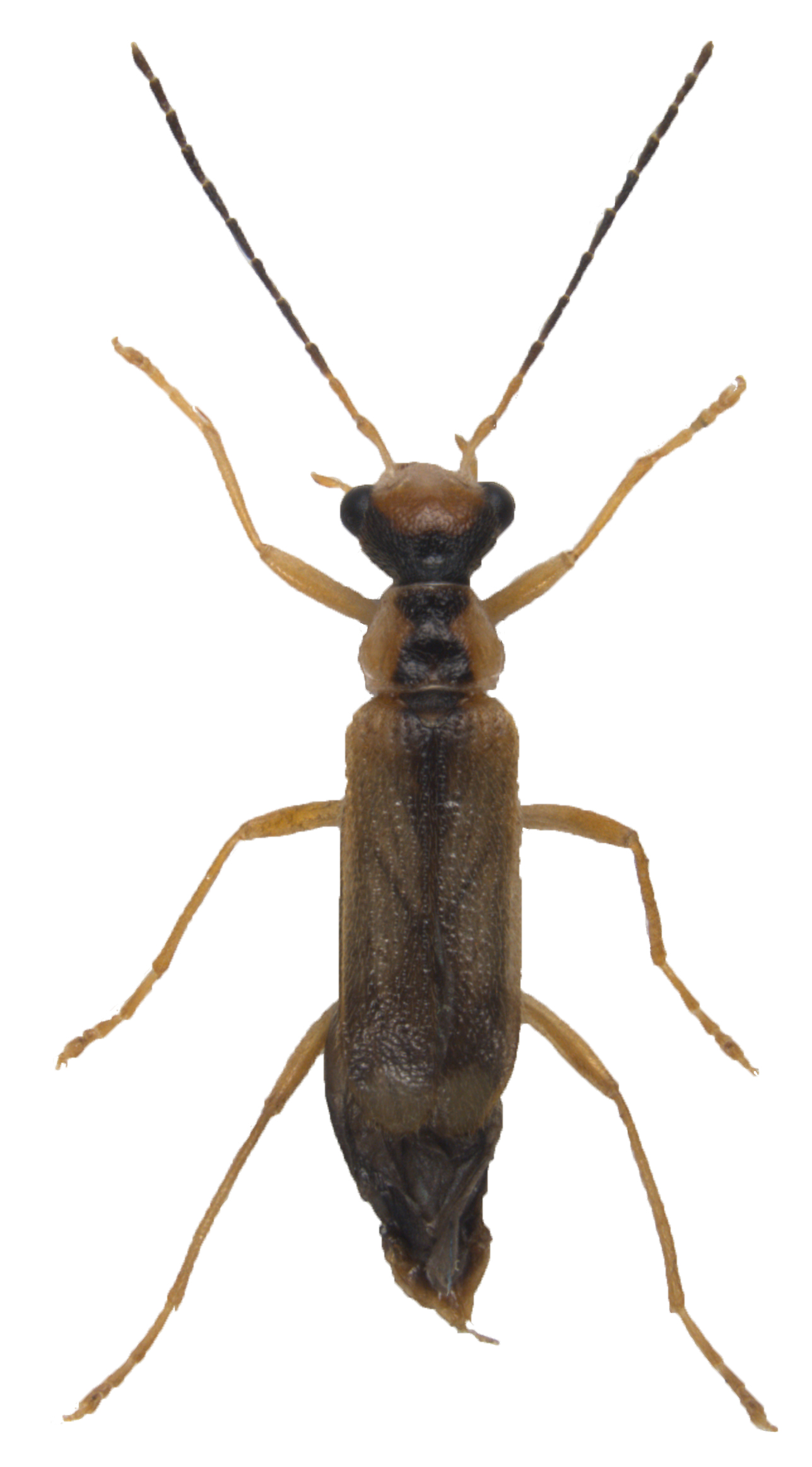
Artsnavn
Av
Oddvar Hanssen
Utgiver
Norsk institutt for naturforskning
Lisens
CC BY 4.0 (Navngivelse)
Siden siteres som
Artsdatabanken: Bløtvinger Cantharidae Imhoff, 1856 (1815)
Hentet fra https://artsdatabanken.no/arter/takson/10037