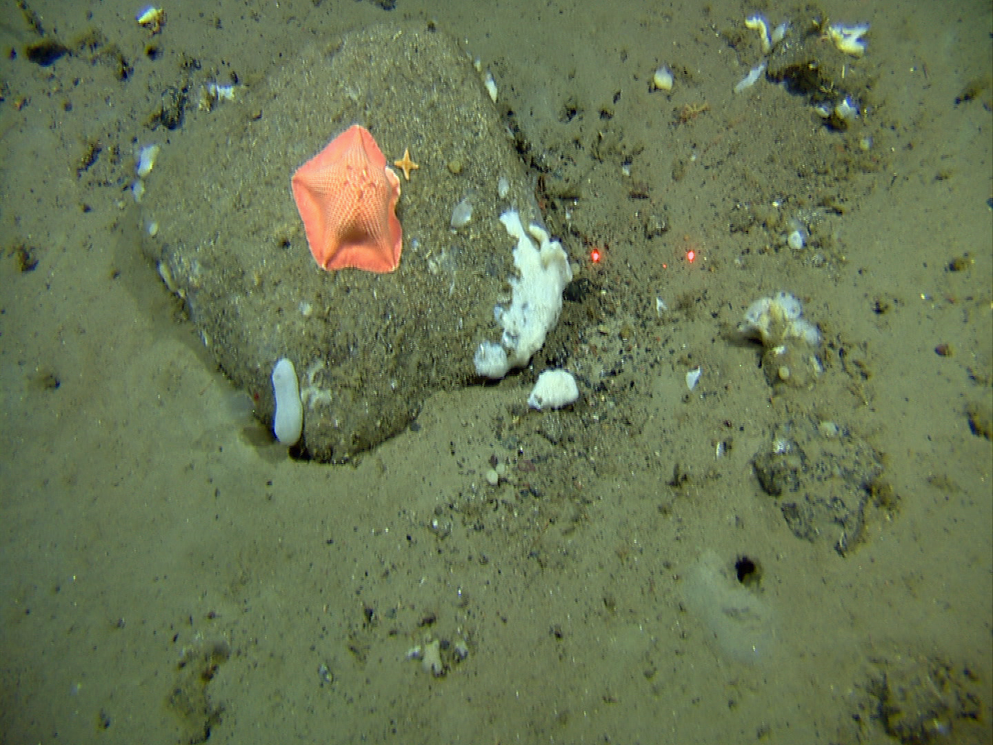
En sjøstjerne med stor skive og korte armer. Oversiden med rødoransje skjell med hvite kanter. Undersiden er hvit, og har lange pigger.

Les hele beskrivelsen

Navn og taksonomi

Vitenskapelig navn:
Tremaster mirabilis Verrill, 1880
Synonymer:
Ingen
Bokmål:
Ingen
Nynorsk:
Ingen
Nordsamisk/Davvisámegiella:
Ingen
Vitenskapelig navn ID:
3363
Takson ID:
3362
Gå til Nortaxa for flere detaljer
The image is missing a description
Av
Espen Rekdal
Utgiver
Espen Rekdal Photography

Kategori

Fastlands-Norge

Registrerte funn i Norge

Funn totalt
Funn denne uken
Funn i dag
Kart over Norge og Svalbard som viser hvor Tremaster mirabilis er observert

Levested

Saltvann

Samlebetegnelse på naturtyper i saltvann, inklusive brakkvann.

Habitatinformasjonen er hentet fra Rødlista for arter.


Siden siteres som

Artsdatabanken: Tremaster mirabilis Verrill, 1880

Hentet fra https://artsdatabanken.no/arter/takson/3362